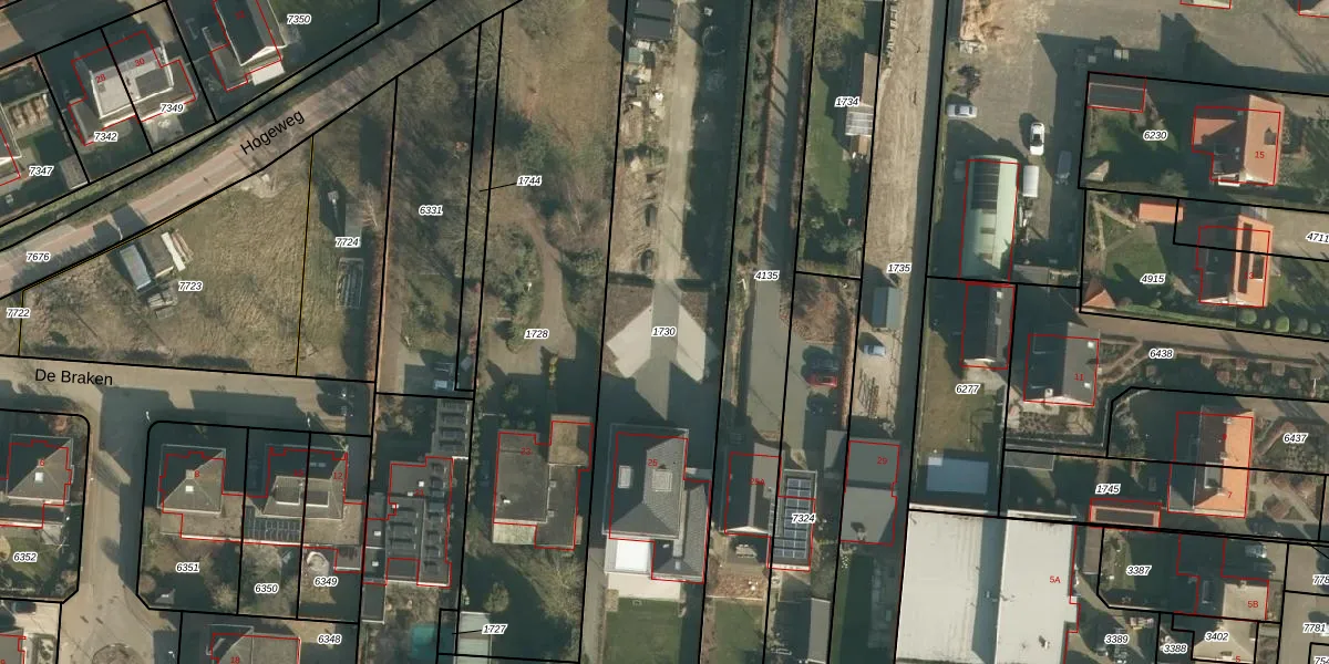
Perceel: DNN00-L-1730
KadastraleKaart.com kan meer dan je denktOntdek meer ›
Filter op bestemming 50+ datasets Eigendomsdata in één klik Percelen CRM
2.585 m2 - 322 m
Eigenaar opvragen
DNN00-L-1730 (Drunen)
- 5151 BJ
xFU tftjGp0Z cT Ym ExLe8aF X mUpgrade naar KadastraleKaart Pro
Verkoopprijs opvragen
Bekijk op Street View
Download DWG/DXF/Excel
bxy975mKTq2ryUpgrade naar KadastraleKaart Pro
4jjzNCSbzYkat1W3Upgrade naar KadastraleKaart Pro
thj6j oGw71pydUpgrade naar KadastraleKaart Pro
9 d xycTKx0uM6WTAZpxMieUpgrade naar KadastraleKaart Pro
pliBoYKD oY HHkUpgrade naar KadastraleKaart Pro
KZZuDse9Rw7y1 Upgrade naar KadastraleKaart Pro
YMsWBITjUpgrade naar KadastraleKaart Pro
vbK9QYCi8sk3gCPRUpgrade naar KadastraleKaart Pro
ddoS BAnzk0 7LVn PvXUpgrade naar KadastraleKaart Pro
radMcZ8iReIywUpgrade naar KadastraleKaart Pro
10/04/2017

Percelen
Gebruik de zoekbalk of klik op een perceel om informatie over het perceel te bekijken.