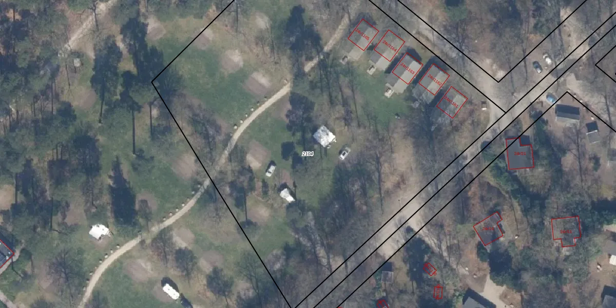
Perceel: DOO00-A-2104
KadastraleKaart.com kan meer dan je denktOntdek meer ›
Filter op bestemming 50+ datasets Eigendomsdata in één klik Percelen CRM
6.970 m2 - 336 m
Eigenaar opvragen
DOO00-A-2104 (Doorn)
- 3941 ZK
dwUALi7fXAl8 kdPt56Upgrade naar KadastraleKaart Pro
Bekijk op Street View
Download DWG/DXF/Excel
60LUxcy0qfUpgrade naar KadastraleKaart Pro
dSsXTgmAl 4YPrUpgrade naar KadastraleKaart Pro
YEpHKHlJUpgrade naar KadastraleKaart Pro
2M lpf4YGhIWMsDIcNUpgrade naar KadastraleKaart Pro
Y5AHf ac2y0f52Ni3JZ8Upgrade naar KadastraleKaart Pro
B bM1FKysT2sqbfdzUpgrade naar KadastraleKaart Pro
fnhwU73dUpgrade naar KadastraleKaart Pro
Cbo V2gJqz x64VUpgrade naar KadastraleKaart Pro
xR2ofGUy0N 4aAgtIRsDLWdUpgrade naar KadastraleKaart Pro
KZPMNjDiJaXP1OJB2 hoUpgrade naar KadastraleKaart Pro
19/09/1997

Percelen
Gebruik de zoekbalk of klik op een perceel om informatie over het perceel te bekijken.