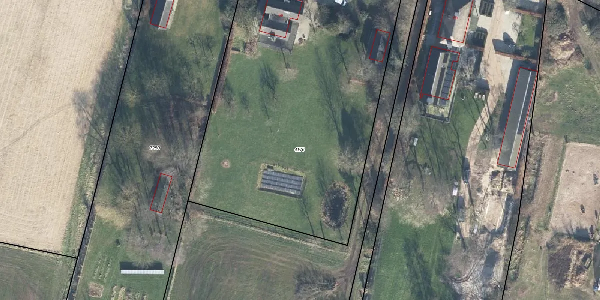
Perceel: DOO00-A-4176
KadastraleKaart.com kan meer dan je denktOntdek meer ›
Filter op bestemming 50+ datasets Eigendomsdata in één klik Percelen CRM
6.435 m2 - 342 m
Eigenaar opvragen
DOO00-A-4176 (Doorn)
- 3941 PS
E Zc eBZFWD2JO05sUGvzIPZQrC2nUpgrade naar KadastraleKaart Pro
Verkoopprijs opvragen
Bekijk op Street View
Download DWG/DXF/Excel
6WIc2Lz CmOJUpgrade naar KadastraleKaart Pro
elIOX6n9iUpgrade naar KadastraleKaart Pro
eoTIQkBiLBP9fT vuTUpgrade naar KadastraleKaart Pro
oEt JVTUwSepAaX5SW6V Upgrade naar KadastraleKaart Pro
2J7HJHBFBLnZ4R Upgrade naar KadastraleKaart Pro
F L4bq yYoMi TUpgrade naar KadastraleKaart Pro
7pP4WnMfiUpgrade naar KadastraleKaart Pro
VVVhrYsDy e cmiUpgrade naar KadastraleKaart Pro
EnHeFrVe27xRhAzMhUpgrade naar KadastraleKaart Pro
u4S ovE4wCNeH9Upgrade naar KadastraleKaart Pro
19/12/2001

Percelen
Gebruik de zoekbalk of klik op een perceel om informatie over het perceel te bekijken.