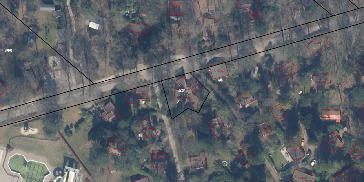
Perceel: DOO00-A-8458
KadastraleKaart.com kan meer dan je denktOntdek meer ›
Filter op bestemming 50+ datasets Eigendomsdata in één klik Percelen CRM
414 m2 - 83 m
Eigenaar opvragen
DOO00-A-8458 (Doorn)
- 3941 ZK
p DHd5hCC6n8GhKtpezNJNV Upgrade naar KadastraleKaart Pro
Bekijk op Street View
Download DWG/DXF/Excel
KzMIb G5sI0EV2Upgrade naar KadastraleKaart Pro
fGf MCfvDBjJ 4HZUpgrade naar KadastraleKaart Pro
KWootyftPT8rhdUpgrade naar KadastraleKaart Pro
nMCS4AZKlzGR1WUpgrade naar KadastraleKaart Pro
7WWWhy t9vLM q Upgrade naar KadastraleKaart Pro
das5bmc Gk8 B ZcLFUpgrade naar KadastraleKaart Pro
L f X ji 00aAyR0Tq3X4Upgrade naar KadastraleKaart Pro
ZEoSWHj1w iEWrrD eYUpgrade naar KadastraleKaart Pro
SrKrwQ eBV X8qyi l EzUpgrade naar KadastraleKaart Pro
1 s5aFZ100Upgrade naar KadastraleKaart Pro
28/05/2021

Percelen
Gebruik de zoekbalk of klik op een perceel om informatie over het perceel te bekijken.