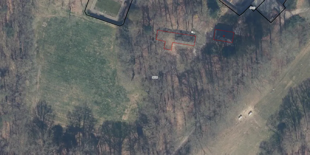
Perceel: DOO00-A-8694
KadastraleKaart.com kan meer dan je denktOntdek meer ›
Filter op bestemming 50+ datasets Eigendomsdata in één klik Percelen CRM
87.236 m2 - 2.035 m
Eigenaar opvragen
DOO00-A-8694 (Doorn)
- 3941 ZX
Qun oMqk1 aqt8pC5RUpgrade naar KadastraleKaart Pro
Bekijk op Street View
Download DWG/DXF/Excel
jMcN5FSi0gs9E5GbQvUpgrade naar KadastraleKaart Pro
fJALHSzdFEUpgrade naar KadastraleKaart Pro
ccW5l86M8Upgrade naar KadastraleKaart Pro
LwPO czydftDq3br5 N OUpgrade naar KadastraleKaart Pro
JAsV JlJGUpgrade naar KadastraleKaart Pro
dlxbbkTFpCEvyyTbqMfC3Upgrade naar KadastraleKaart Pro
oUz EKdQIp jHSwUpgrade naar KadastraleKaart Pro
VzFdAylnG9e3Upgrade naar KadastraleKaart Pro
JS lv8 7uXJUpgrade naar KadastraleKaart Pro
mwZvH4zl015UmibY6dNKwUpgrade naar KadastraleKaart Pro
29/09/2025

Percelen
Gebruik de zoekbalk of klik op een perceel om informatie over het perceel te bekijken.