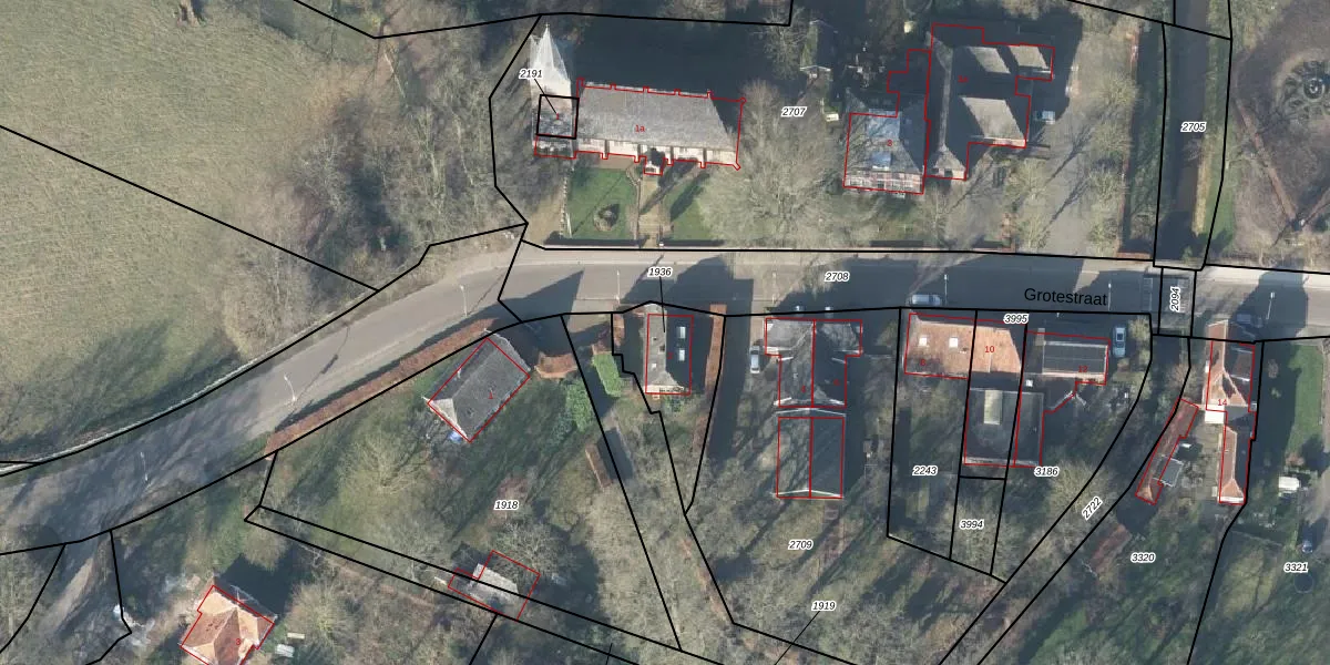
Perceel: DPH00-B-1936
KadastraleKaart.com kan meer dan je denktOntdek meer ›
Filter op bestemming 50+ datasets Eigendomsdata in één klik Percelen CRM
340 m2 - 84 m
Eigenaar opvragen
DPH00-B-1936 (Diepenheim)
- 7478 AC
WNcFmrFrgQaSGqzeQSRrCuILHCeSUpgrade naar KadastraleKaart Pro
Bekijk op Street View
Download DWG/DXF/Excel
RNTSvhDYscbqQe84Upgrade naar KadastraleKaart Pro
Ve9i VitcUpgrade naar KadastraleKaart Pro
GVJu7w3v20rUpgrade naar KadastraleKaart Pro
Jx HQUbe877QWXj8Upgrade naar KadastraleKaart Pro
gXYYdRj Upgrade naar KadastraleKaart Pro
OKyyC5ZA3Upgrade naar KadastraleKaart Pro
A baCFSHwR cCLF8b Upgrade naar KadastraleKaart Pro
4Uv DDl7rp8mIyBM F4Upgrade naar KadastraleKaart Pro
El QrhctDnKivT7Fnxp stUpgrade naar KadastraleKaart Pro
qcUf0GixmR5qIdCVKQYUpgrade naar KadastraleKaart Pro
15/04/2003

Percelen
Gebruik de zoekbalk of klik op een perceel om informatie over het perceel te bekijken.