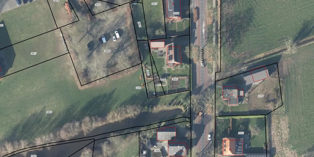
Perceel: DPH00-B-3199
KadastraleKaart.com kan meer dan je denktOntdek meer ›
Filter op bestemming 50+ datasets Eigendomsdata in één klik Percelen CRM
Geen adressen bij dit perceel
100 m2 - 79 m
Eigenaar opvragen
DPH00-B-3199 (Diepenheim)
- Geen postcode aanwezig
zN5CNlMB5jc 2Ivf4hvkAsoMDvfUpgrade naar KadastraleKaart Pro
Bekijk op Street View
Download DWG/DXF/Excel
PtlWTX27H tUpgrade naar KadastraleKaart Pro
427uKSbm LUpgrade naar KadastraleKaart Pro
LcbNWisjlXAwYnZRICn2DUpgrade naar KadastraleKaart Pro
Gvt8 0aD NkHeZeUpgrade naar KadastraleKaart Pro
X GeAwITLa yUpgrade naar KadastraleKaart Pro
ezQa1F2OhRT1Upgrade naar KadastraleKaart Pro
WGDHUN 5zJUpgrade naar KadastraleKaart Pro
sTFXlBtqX20OoZRlfU6TUUpgrade naar KadastraleKaart Pro
JvyrRbOz nh3XuuNgBgUpgrade naar KadastraleKaart Pro
nia yUJ9fgUpgrade naar KadastraleKaart Pro
26/03/2015

Percelen
Gebruik de zoekbalk of klik op een perceel om informatie over het perceel te bekijken.