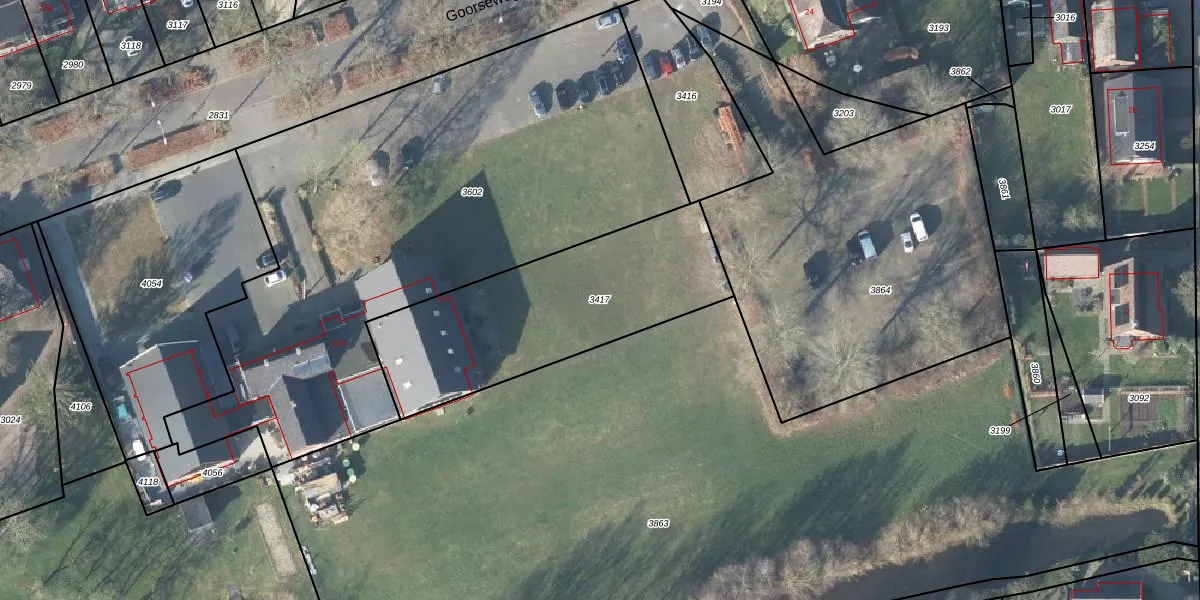
Perceel: DPH00-B-3417
KadastraleKaart.com kan meer dan je denktOntdek meer ›
Filter op bestemming 50+ datasets Eigendomsdata in één klik Percelen CRM
Geen adressen bij dit perceel
1.009 m2 - 153 m
Eigenaar opvragen
DPH00-B-3417 (Diepenheim)
- Geen postcode aanwezig
1 lxBNIB2lZzrWYAmBUpgrade naar KadastraleKaart Pro
Bekijk op Street View
Download DWG/DXF/Excel
sNd3JbUBRgeUpgrade naar KadastraleKaart Pro
kPUTP15zUE QBEsUpgrade naar KadastraleKaart Pro
W9mWBsdpvpu ZJcw2sUpgrade naar KadastraleKaart Pro
djzxeMfzZh3 IUpgrade naar KadastraleKaart Pro
3T sQv7o4SI jH YZWUpgrade naar KadastraleKaart Pro
9pePltE2 vUpgrade naar KadastraleKaart Pro
fAkCp4NLZ37 7Mydkn9yUpgrade naar KadastraleKaart Pro
tzygjan5nXaYu1Upgrade naar KadastraleKaart Pro
XTIRUMS5uTF8 VmFYUpgrade naar KadastraleKaart Pro
FLXqommTUpgrade naar KadastraleKaart Pro
12/02/2008

Percelen
Gebruik de zoekbalk of klik op een perceel om informatie over het perceel te bekijken.