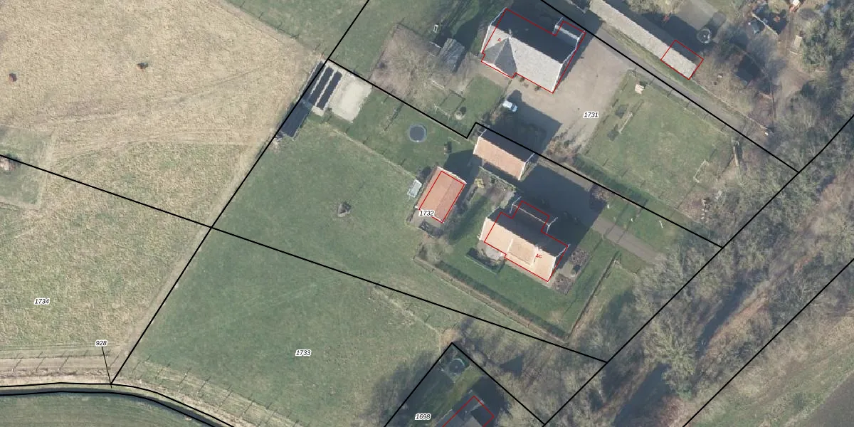
Perceel: DPH00-E-1732
KadastraleKaart.com kan meer dan je denktOntdek meer ›
Filter op bestemming 50+ datasets Eigendomsdata in één klik Percelen CRM
3.945 m2 - 291 m
Eigenaar opvragen
DPH00-E-1732 (Diepenheim)
- 7478 PJ
J tj U8u8U EoM8H CW9WaA9dUpgrade naar KadastraleKaart Pro
Bekijk op Street View
Download DWG/DXF/Excel
VWNhT97IUbMiXLpyk cwUAUpgrade naar KadastraleKaart Pro
tL A44P3ufTdOGj AojGjUpgrade naar KadastraleKaart Pro
9 41 R6aRzjdv8oUpgrade naar KadastraleKaart Pro
w vQ7 VZfNQUIoEPUpgrade naar KadastraleKaart Pro
lLJd1 4YUpgrade naar KadastraleKaart Pro
PtiVvLh7Upgrade naar KadastraleKaart Pro
QAXQCHqA xjEDUpgrade naar KadastraleKaart Pro
PYHTGGLZ0srUpgrade naar KadastraleKaart Pro
hcdalM5VTi4yMrMV5qeUpgrade naar KadastraleKaart Pro
S39F 2dqyiwxCppA J3sUpgrade naar KadastraleKaart Pro
10/02/2009

Percelen
Gebruik de zoekbalk of klik op een perceel om informatie over het perceel te bekijken.