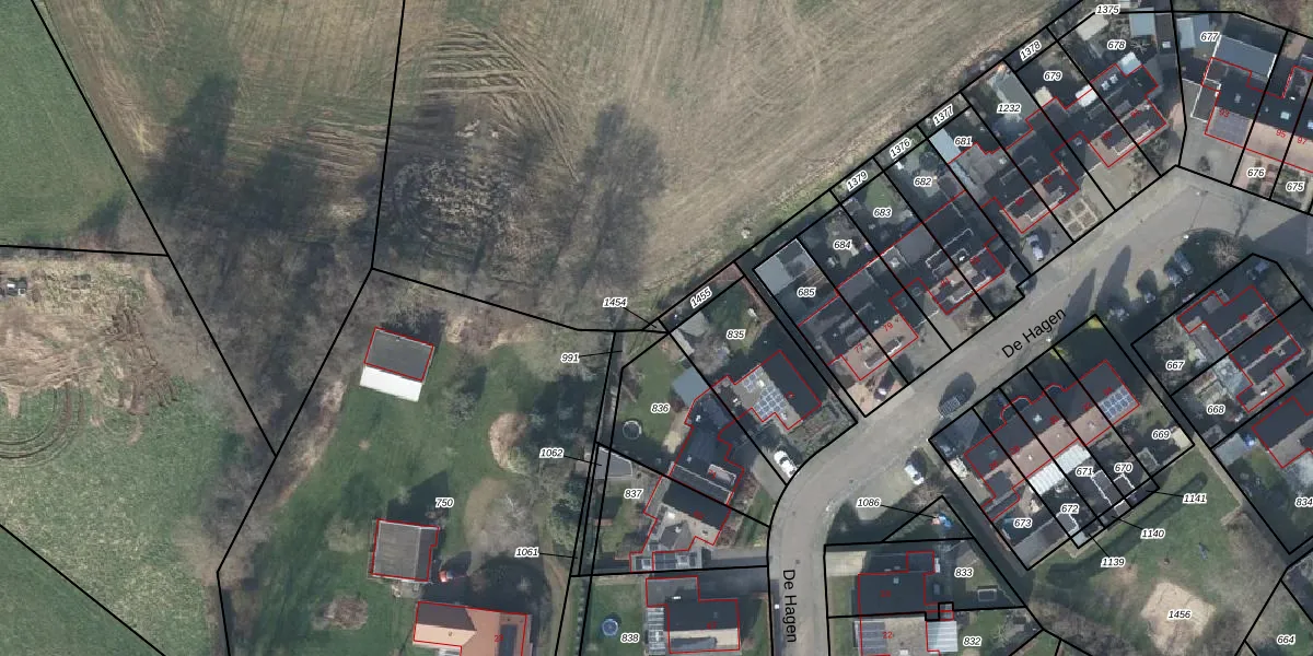
Perceel: DPL00-E-1454
KadastraleKaart.com kan meer dan je denktOntdek meer ›
Filter op bestemming 50+ datasets Eigendomsdata in één klik Percelen CRM
Geen adressen bij dit perceel
4 m2 - 10 m
Eigenaar opvragen
DPL00-E-1454 (Dinxperlo)
- Geen postcode aanwezig
FFVb33X1SqZB44xE Upgrade naar KadastraleKaart Pro
Bekijk op Street View
Download DWG/DXF/Excel
Ib4X pMVdNWUpgrade naar KadastraleKaart Pro
yX9Oe04Gsd 1 K5avJ5yzkAUpgrade naar KadastraleKaart Pro
lc2LygQKjessWtoZG6vNUpgrade naar KadastraleKaart Pro
P05iP3QKDOnZ XNqUpgrade naar KadastraleKaart Pro
R aO2xGoqFjUpgrade naar KadastraleKaart Pro
KJhBmyvfaUpgrade naar KadastraleKaart Pro
L p9 bCErG3dUpgrade naar KadastraleKaart Pro
C3FD WNaUpgrade naar KadastraleKaart Pro
HRuF5j9J32Upgrade naar KadastraleKaart Pro
TbCv2M4DRPd0Mz1SYlUpgrade naar KadastraleKaart Pro
27/03/2023

Percelen
Gebruik de zoekbalk of klik op een perceel om informatie over het perceel te bekijken.