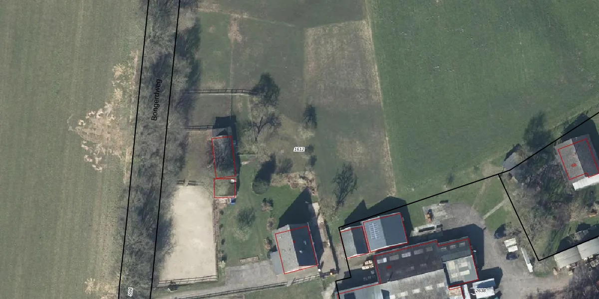
Perceel: DPL00-F-1612
KadastraleKaart.com kan meer dan je denktOntdek meer ›
Filter op bestemming 50+ datasets Eigendomsdata in één klik Percelen CRM
21.110 m2 - 642 m
Eigenaar opvragen
DPL00-F-1612 (Dinxperlo)
- 7095 CJ
wd90AdZaanWoS3jt85VUpgrade naar KadastraleKaart Pro
Verkoopprijs opvragen
Bekijk op Street View
Download DWG/DXF/Excel
VheJBQy 1KE6SyNwbj4Upgrade naar KadastraleKaart Pro
dNxPsuU4Upgrade naar KadastraleKaart Pro
42zm30ZfgzS8eClIcuEd c Upgrade naar KadastraleKaart Pro
mE5roy2sFdIt9EUpgrade naar KadastraleKaart Pro
VAmQ14MTeInzpKk0NUpgrade naar KadastraleKaart Pro
1By53RLlFdpwU6SWqSdUpgrade naar KadastraleKaart Pro
e0UB63gY68 xYOzI9Upgrade naar KadastraleKaart Pro
6CNWOIFT ppKUpgrade naar KadastraleKaart Pro
jsu r0IuBcWUOUpgrade naar KadastraleKaart Pro
oSnS WGo Upgrade naar KadastraleKaart Pro
15/01/2021

Percelen
Gebruik de zoekbalk of klik op een perceel om informatie over het perceel te bekijken.