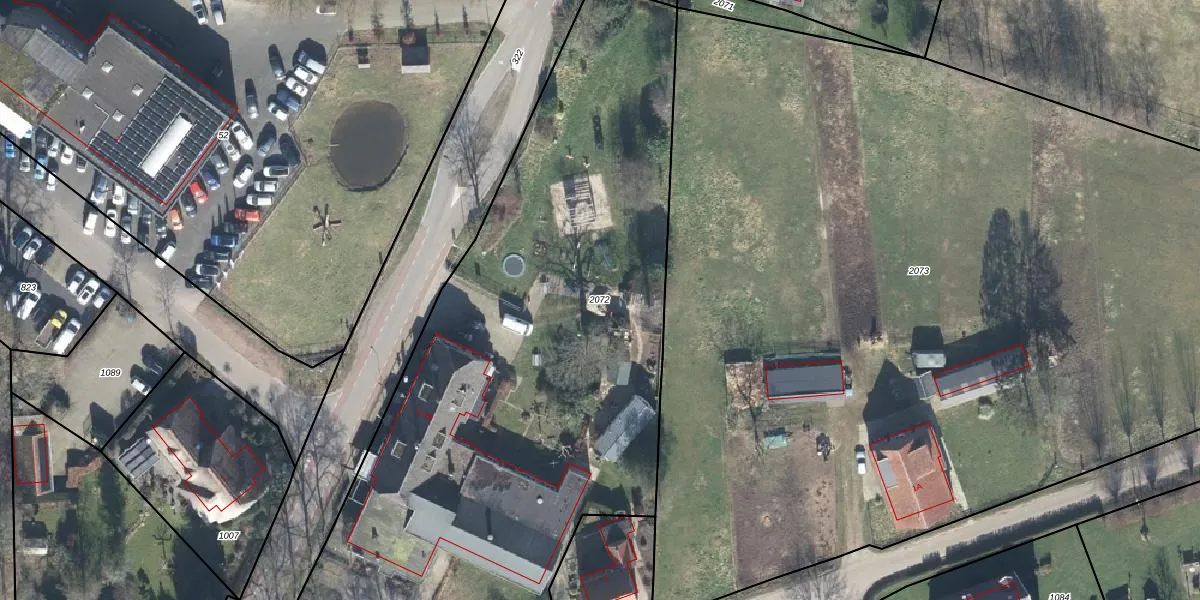
Perceel: DPL00-F-2072
KadastraleKaart.com kan meer dan je denktOntdek meer ›
Filter op bestemming 50+ datasets Eigendomsdata in één klik Percelen CRM
4.220 m2 - 315 m
Eigenaar opvragen
DPL00-F-2072 (Dinxperlo)
- 7095 BC
d3Zt4Fm XdD HC4WvUpgrade naar KadastraleKaart Pro
Bekijk op Street View
Download DWG/DXF/Excel
AM6u2FgWdaTWd iSdyGNUpgrade naar KadastraleKaart Pro
j BNwk9QCWAjMBl8erD Upgrade naar KadastraleKaart Pro
9Mp R4 qC6ea5cwXVFUkUpgrade naar KadastraleKaart Pro
OZe BveirzNXX9IPvQOPEWUpgrade naar KadastraleKaart Pro
Jbe z6E7JYqXYUpgrade naar KadastraleKaart Pro
o mJ3kPzvy6QUpgrade naar KadastraleKaart Pro
HuwBDsIk LodHpFAiM4 Upgrade naar KadastraleKaart Pro
Esjd5eTSKR1Rci53mtR Upgrade naar KadastraleKaart Pro
VEg8bXiktTFCS0maAeIvkJUpgrade naar KadastraleKaart Pro
mPmVPM C Ewv lAICD3zUpgrade naar KadastraleKaart Pro
06/08/2007

Percelen
Gebruik de zoekbalk of klik op een perceel om informatie over het perceel te bekijken.