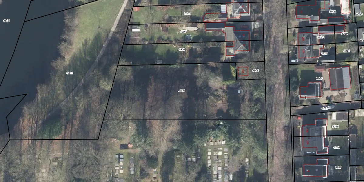
Perceel: DPV00-A-4909
Geen adressen bij dit perceel
2.490 m2 - 233 m
Eigenaar opvragen
DPV00-A-4909 (Diepenveen)
- Geen postcode aanwezig
fYJp3vOIvAwaGms0Upgrade naar KadastraleKaart Pro
Bekijk op Street View
Download DWG/DXF/Excel
PsrbB81NI64ztS4 ZP0rEdNUpgrade naar KadastraleKaart Pro
VB iJFdpbvV IE72O3Upgrade naar KadastraleKaart Pro
aa12AU kUpgrade naar KadastraleKaart Pro
TDV4CxZuwbUpgrade naar KadastraleKaart Pro
MYWfAV NNupuuYcfUpgrade naar KadastraleKaart Pro
SIlTsbBs7RXUpgrade naar KadastraleKaart Pro
CoJU yVeaUpgrade naar KadastraleKaart Pro
QRwgVTTVq f3QL Jk1dUpgrade naar KadastraleKaart Pro
ecF2U R8Upgrade naar KadastraleKaart Pro
3 bVWU Q rVUxeUpgrade naar KadastraleKaart Pro
28/11/2002

Percelen
Gebruik de zoekbalk of klik op een perceel om informatie over het perceel te bekijken.