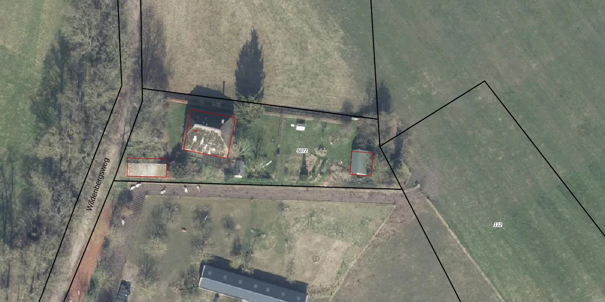
Perceel: DPV00-A-5072
2.200 m2 - 231 m
Eigenaar opvragen
DPV00-A-5072 (Diepenveen)
- 7431 PW
GGkpZ0Kc0h65Fnjf39bIUpgrade naar KadastraleKaart Pro
Bekijk op Street View
Download DWG/DXF/Excel
JIeTCB Ja 9BTmuQ6v6752Upgrade naar KadastraleKaart Pro
7IGQvvOoc9PZitmUpgrade naar KadastraleKaart Pro
0ee2PQKRzS PTNuQxIOTdUpgrade naar KadastraleKaart Pro
Dt42TxznUpgrade naar KadastraleKaart Pro
7FXqMzDzFpj cuOdUpgrade naar KadastraleKaart Pro
zBBsKgg WklvrhjwDUpgrade naar KadastraleKaart Pro
6QwPj 9W06aJszprgUpgrade naar KadastraleKaart Pro
lOCA2Fns4TnpZUpgrade naar KadastraleKaart Pro
EPRjK hq jsUpgrade naar KadastraleKaart Pro
vhAxICWdUpgrade naar KadastraleKaart Pro
27/09/2010

Percelen
Gebruik de zoekbalk of klik op een perceel om informatie over het perceel te bekijken.