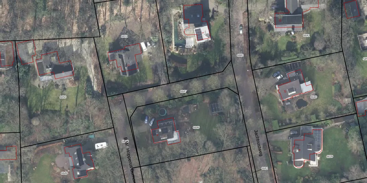
Perceel: DPV00-A-6647
KadastraleKaart.com kan meer dan je denktOntdek meer ›
Filter op bestemming 50+ datasets Eigendomsdata in één klik Percelen CRM
Geen adressen bij dit perceel
614 m2 - 214 m
Eigenaar opvragen
DPV00-A-6647 (Diepenveen)
- Geen postcode aanwezig
0rzmLn6WJ64 aP2j1uek GtXoUpgrade naar KadastraleKaart Pro
Bekijk op Street View
Download DWG/DXF/Excel
tsq JXRrUpgrade naar KadastraleKaart Pro
ROAJ7isOWoUpgrade naar KadastraleKaart Pro
glblMDZywagnUpgrade naar KadastraleKaart Pro
1HtsDju1i5szS7CoVrAUpgrade naar KadastraleKaart Pro
6uyxhF p12VDSv44jyA 7Upgrade naar KadastraleKaart Pro
IajaQjbb0WtXAUpgrade naar KadastraleKaart Pro
1ScAR04bc2ePiiHuxhnnKDtUpgrade naar KadastraleKaart Pro
lpkcVt015S 5m0oUpgrade naar KadastraleKaart Pro
i3yMrYie BSoUpgrade naar KadastraleKaart Pro
Fdy7mwIm YOdxJkow6b7DiKUpgrade naar KadastraleKaart Pro
11/04/2008

Percelen
Gebruik de zoekbalk of klik op een perceel om informatie over het perceel te bekijken.