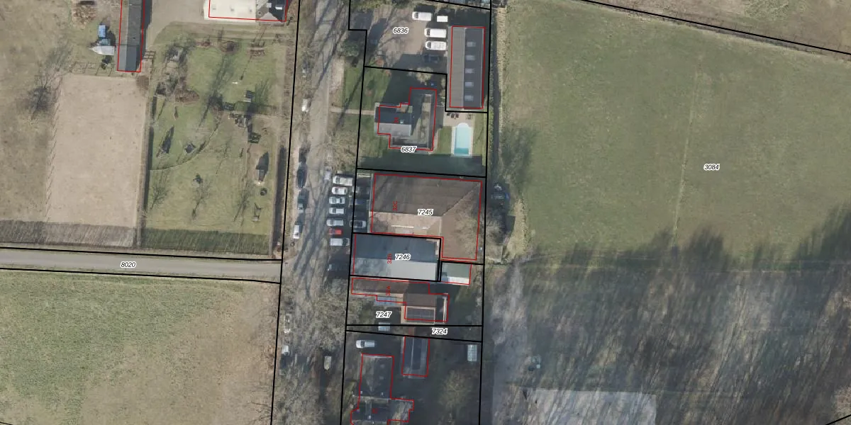
Perceel: DPV00-A-7245
KadastraleKaart.com kan meer dan je denktOntdek meer ›
Filter op bestemming 50+ datasets Eigendomsdata in één klik Percelen CRM
530 m2 - 112 m
Eigenaar opvragen
DPV00-A-7245 (Diepenveen)
- 7431 BK
BSYnb mjMl fys7kS9C9pyoJLktKqUpgrade naar KadastraleKaart Pro
Bekijk op Street View
Download DWG/DXF/Excel
UCkgwxQLh T Upgrade naar KadastraleKaart Pro
Eo2iT klklFTUpgrade naar KadastraleKaart Pro
xV92D D2asL2cFEWFhK0Y kUpgrade naar KadastraleKaart Pro
ixl STc91Aj4RQUpgrade naar KadastraleKaart Pro
mOYYqN2y2F6Mv 3kMvUpgrade naar KadastraleKaart Pro
wU2NFDx jbL2CdRUpgrade naar KadastraleKaart Pro
BEL3V AWwUpgrade naar KadastraleKaart Pro
JvF ArX9O6B5iLYX V0 Upgrade naar KadastraleKaart Pro
r04wzgpZRlcQIf5Upgrade naar KadastraleKaart Pro
RU5WIRwFA3rUpgrade naar KadastraleKaart Pro
27/11/2002

Percelen
Gebruik de zoekbalk of klik op een perceel om informatie over het perceel te bekijken.