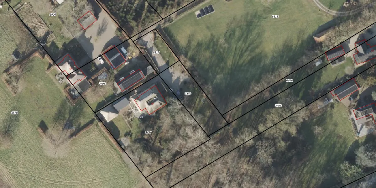
Perceel: DPV00-A-7469
KadastraleKaart.com kan meer dan je denktOntdek meer ›
Filter op bestemming 50+ datasets Eigendomsdata in één klik Percelen CRM
Geen adressen bij dit perceel
576 m2 - 111 m
Eigenaar opvragen
DPV00-A-7469 (Diepenveen)
- Geen postcode aanwezig
2zpNSKt aZ 6M QQXxYRoQxUpgrade naar KadastraleKaart Pro
Bekijk op Street View
Download DWG/DXF/Excel
ArI5SeINsGSMb8qUpgrade naar KadastraleKaart Pro
lGGEw4tLlvUpgrade naar KadastraleKaart Pro
LSIpJ0I61HTD7Upgrade naar KadastraleKaart Pro
8DDL oOzrHNuUpgrade naar KadastraleKaart Pro
H ryx 1uUpgrade naar KadastraleKaart Pro
CDaPGJ wDw vg5 0iM6w Upgrade naar KadastraleKaart Pro
hImJNXAL7a1Q J8DUvPFIUpgrade naar KadastraleKaart Pro
gX RF5TngWUpgrade naar KadastraleKaart Pro
w7hcOSKlNBa oNqqUpgrade naar KadastraleKaart Pro
fXQy uTazyUpgrade naar KadastraleKaart Pro
17/06/2009

Percelen
Gebruik de zoekbalk of klik op een perceel om informatie over het perceel te bekijken.