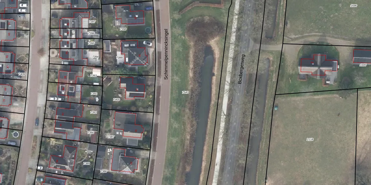
Perceel: DPV00-A-7543
KadastraleKaart.com kan meer dan je denktOntdek meer ›
Filter op bestemming 50+ datasets Eigendomsdata in één klik Percelen CRM
Geen adressen bij dit perceel
12.435 m2 - 1.776 m
Eigenaar opvragen
DPV00-A-7543 (Diepenveen)
- Geen postcode aanwezig
h GPlKqvebLnM3lYUpgrade naar KadastraleKaart Pro
Bekijk op Street View
Download DWG/DXF/Excel
FVsZG92c q Pb6Upgrade naar KadastraleKaart Pro
pw 0JHiZFYNB vBvsIoUpgrade naar KadastraleKaart Pro
uJkDZp9BGPUB A4eHWcVUpgrade naar KadastraleKaart Pro
4ddVN1Z 2DPQwovhlSjUpgrade naar KadastraleKaart Pro
Ek2 SK5bUpgrade naar KadastraleKaart Pro
iXICmlEtycVRyv9GFlE7oUpgrade naar KadastraleKaart Pro
8yj2cUkr3PxdvVyqMcslUpgrade naar KadastraleKaart Pro
8NeruOyKyaEwUpgrade naar KadastraleKaart Pro
31w6P9dHTk2XqvRRiFo3oNUpgrade naar KadastraleKaart Pro
y NijXmhN nxoi3iUpgrade naar KadastraleKaart Pro
11/04/2008

Percelen
Gebruik de zoekbalk of klik op een perceel om informatie over het perceel te bekijken.