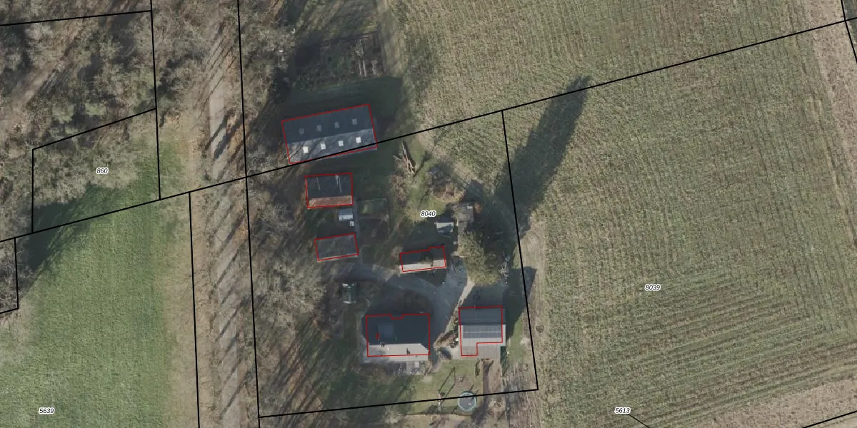
Perceel: DPV00-A-8040
KadastraleKaart.com kan meer dan je denktOntdek meer ›
Filter op bestemming 50+ datasets Eigendomsdata in één klik Percelen CRM
3.815 m2 - 249 m
Eigenaar opvragen
DPV00-A-8040 (Diepenveen)
- 7431 BK
MhecS BTnQIeLdXPHHHGC3aJgUpgrade naar KadastraleKaart Pro
Bekijk op Street View
Download DWG/DXF/Excel
sk8Zf gUfRhtVMi74sChTe1Upgrade naar KadastraleKaart Pro
TO NtujtlewdFUpgrade naar KadastraleKaart Pro
t IrZcwS4CfVrbUpgrade naar KadastraleKaart Pro
CsdFi6Hf7aOPtsrfVQzRM Upgrade naar KadastraleKaart Pro
ZlSm7I8FzPM 65M Upgrade naar KadastraleKaart Pro
Kr WQOcaUpgrade naar KadastraleKaart Pro
DbcoJBaf6X QcKCX rUpgrade naar KadastraleKaart Pro
wVHy6 jBUKPmQnNGu3Upgrade naar KadastraleKaart Pro
06BZpE gcQ pUpgrade naar KadastraleKaart Pro
An0u e8jnDW8QcwbRRUpgrade naar KadastraleKaart Pro
09/06/2015

Percelen
Gebruik de zoekbalk of klik op een perceel om informatie over het perceel te bekijken.