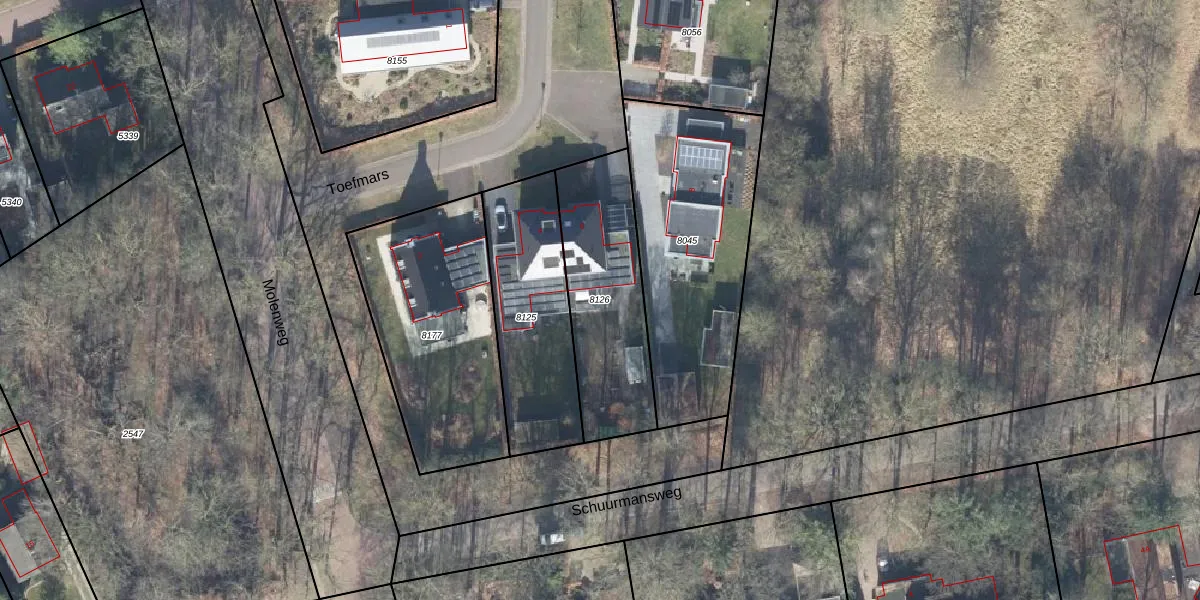
Perceel: DPV00-A-8126
KadastraleKaart.com kan meer dan je denktOntdek meer ›
Filter op bestemming 50+ datasets Eigendomsdata in één klik Percelen CRM
579 m2 - 118 m
Eigenaar opvragen
DPV00-A-8126 (Diepenveen)
- 7431 KA
SfecERgVyahxNQ5 y5uyLBUpgrade naar KadastraleKaart Pro
Bekijk op Street View
Download DWG/DXF/Excel
0btGyFknUpgrade naar KadastraleKaart Pro
FNlU6UYZ8o Vi hCeUpgrade naar KadastraleKaart Pro
CG 7g3UXXUpgrade naar KadastraleKaart Pro
CWKIfFSEZB85zQs z9l qU Upgrade naar KadastraleKaart Pro
P iEZO JUpgrade naar KadastraleKaart Pro
UFlXh9LXmgeEjB6BOUpgrade naar KadastraleKaart Pro
qebwXcSULhRU BOkWifJgUpgrade naar KadastraleKaart Pro
YQSLnuF0gAKUpgrade naar KadastraleKaart Pro
lcLF457MyE6wGF44G NUpgrade naar KadastraleKaart Pro
429 1ysojPOW8x0kICnT6YUpgrade naar KadastraleKaart Pro
21/03/2018

Percelen
Gebruik de zoekbalk of klik op een perceel om informatie over het perceel te bekijken.