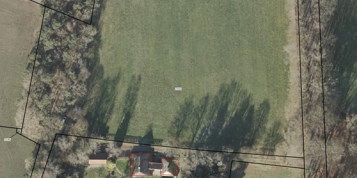
Perceel: DPV00-B-2163
Geen adressen bij dit perceel
41.605 m2 - 1.382 m
Eigenaar opvragen
DPV00-B-2163 (Diepenveen)
- Geen postcode aanwezig
1RJ33ciau5jqOq e nVTf2Upgrade naar KadastraleKaart Pro
Bekijk op Street View
Download DWG/DXF/Excel
xIm5cd97w TM9WUpgrade naar KadastraleKaart Pro
jB DkBHzvRXMqEY1vEdSHIUpgrade naar KadastraleKaart Pro
u96 GEpr0ofT ku0w sg9CUpgrade naar KadastraleKaart Pro
EkAbnwdZbi6AeNBf j5P2Upgrade naar KadastraleKaart Pro
Vuumc9S U7QNxUpgrade naar KadastraleKaart Pro
FXBdgjgDI dVmgh gmUpgrade naar KadastraleKaart Pro
VX aNvSoz6Upgrade naar KadastraleKaart Pro
5FH6z7QmvtpxFP3FUpgrade naar KadastraleKaart Pro
svs QK4k5UO0 heNOUpgrade naar KadastraleKaart Pro
Gm abai 98aUpgrade naar KadastraleKaart Pro
19/03/2007

Percelen
Gebruik de zoekbalk of klik op een perceel om informatie over het perceel te bekijken.