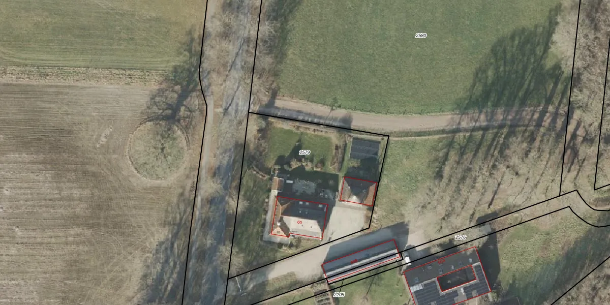
Perceel: DPV00-B-2579
1.920 m2 - 182 m
Eigenaar opvragen
DPV00-B-2579 (Diepenveen)
- 7431 PP
rSFjF ulsd36tIch lfvL1vx pm pUpgrade naar KadastraleKaart Pro
Bekijk op Street View
Download DWG/DXF/Excel
XNnTslQaTf V 8QBUpgrade naar KadastraleKaart Pro
YoItMiu3WKTAqUUpgrade naar KadastraleKaart Pro
ZpcB o2JJ Upgrade naar KadastraleKaart Pro
G0v394wAFI8D ZHP5IWepUpgrade naar KadastraleKaart Pro
F KJRLvL9SVUpgrade naar KadastraleKaart Pro
lcXL4 V BjI9hwss7ZvYbkzUpgrade naar KadastraleKaart Pro
34TukoNn RY6smUpgrade naar KadastraleKaart Pro
zf8mJGRV8T WzqsCvUpgrade naar KadastraleKaart Pro
KSoUSdRK4KkspHUpgrade naar KadastraleKaart Pro
Yj8g70 j0Upgrade naar KadastraleKaart Pro
22/01/2019

Percelen
Gebruik de zoekbalk of klik op een perceel om informatie over het perceel te bekijken.