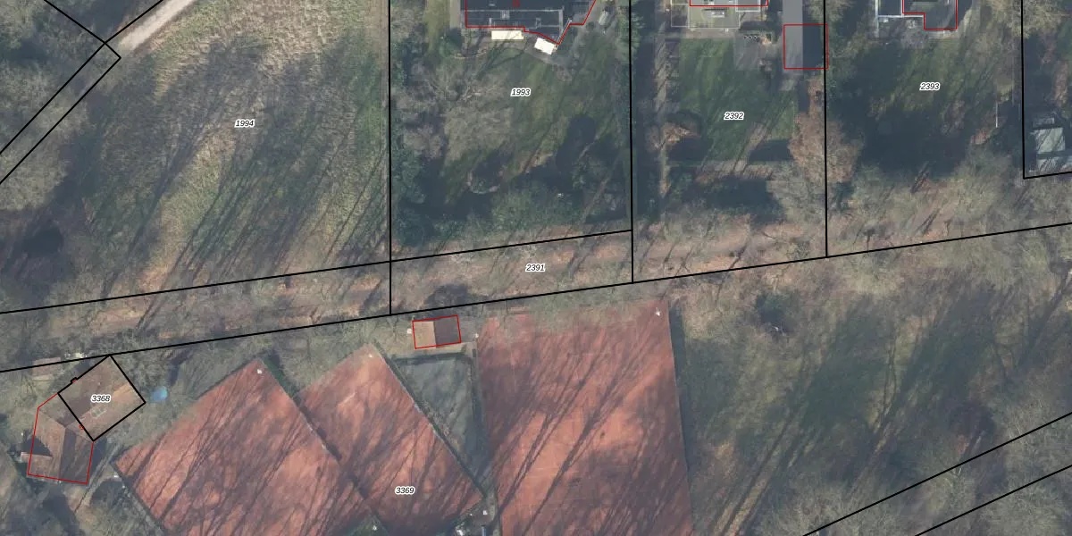
Perceel: DPV00-D-2391
Geen adressen bij dit perceel
445 m2 - 111 m
Eigenaar opvragen
DPV00-D-2391 (Diepenveen)
- Geen postcode aanwezig
Iu8mZ0ubcDn0N9PMxndY1Y6SNFlvUpgrade naar KadastraleKaart Pro
Bekijk op Street View
Download DWG/DXF/Excel
1l 1AurFYUpgrade naar KadastraleKaart Pro
GA8wkSSp 4ACUpgrade naar KadastraleKaart Pro
WvC G sabMDx2qL3Upgrade naar KadastraleKaart Pro
v 2LYJT7QuScUrbzUpgrade naar KadastraleKaart Pro
SBJnM QSKgJqO 0oNUpgrade naar KadastraleKaart Pro
f H8XDuE5Eg M6Ei4bdmkuUpgrade naar KadastraleKaart Pro
3wHp 5vQyq9Upgrade naar KadastraleKaart Pro
WSylDUAm0ck gzaIiUpgrade naar KadastraleKaart Pro
ECVzKO cUpgrade naar KadastraleKaart Pro
YM vKoAAX9 rTUpgrade naar KadastraleKaart Pro
20/06/2005

Percelen
Gebruik de zoekbalk of klik op een perceel om informatie over het perceel te bekijken.