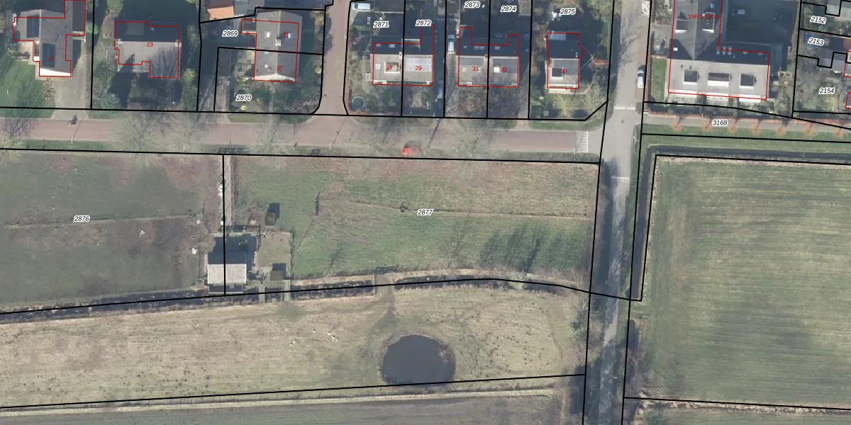
Perceel: DPV00-D-2877
Geen adressen bij dit perceel
2.620 m2 - 239 m
Eigenaar opvragen
DPV00-D-2877 (Diepenveen)
- Geen postcode aanwezig
jB xQgvixkDO7S0vUpgrade naar KadastraleKaart Pro
Bekijk op Street View
Download DWG/DXF/Excel
md1PRmv6V3E3pUpgrade naar KadastraleKaart Pro
RudMz3pzPhT3FJDQ 7kOzJ Upgrade naar KadastraleKaart Pro
o87GrPBH TbnoXoE k5lUpgrade naar KadastraleKaart Pro
jZsrdh8vUNUpgrade naar KadastraleKaart Pro
0 4Af9 CS0aQaIUpgrade naar KadastraleKaart Pro
9sdEm9FVVqy9d 1dd8Upgrade naar KadastraleKaart Pro
KV2i5ThL1dM0h jjUpgrade naar KadastraleKaart Pro
SRy5oJrMMUpgrade naar KadastraleKaart Pro
THN QhZUrZeUpgrade naar KadastraleKaart Pro
38 3Ed7DqoWu rXOB4aUpgrade naar KadastraleKaart Pro
26/11/2002

Percelen
Gebruik de zoekbalk of klik op een perceel om informatie over het perceel te bekijken.