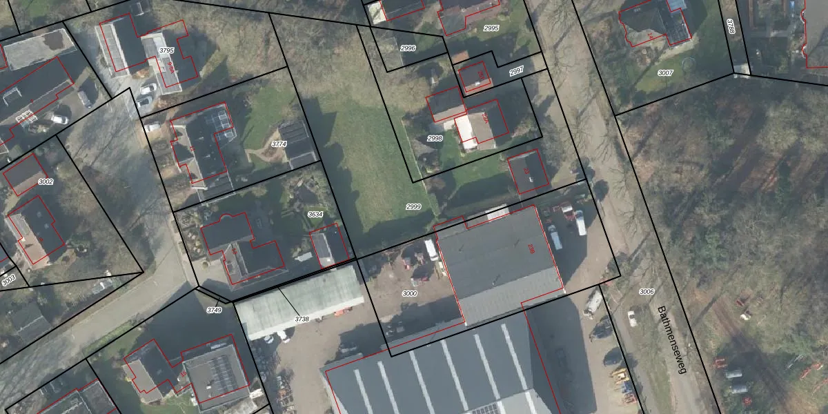
Perceel: DPV00-E-2999
KadastraleKaart.com kan meer dan je denktOntdek meer ›
Filter op bestemming 50+ datasets Eigendomsdata in één klik Percelen CRM
1.725 m2 - 267 m
Eigenaar opvragen
DPV00-E-2999 (Diepenveen)
- 7434 PW
mCWgCNUEoVUdL636b91XZPxGmkY Upgrade naar KadastraleKaart Pro
Bekijk op Street View
Download DWG/DXF/Excel
34aGJz2U3Sau4oxpyqM3Upgrade naar KadastraleKaart Pro
R52Y0us T39Zw MUbhYUpgrade naar KadastraleKaart Pro
R Zsu kqkFUpgrade naar KadastraleKaart Pro
VZN6A3L7nfUpgrade naar KadastraleKaart Pro
zRNagKSFk8SFpOscHGX gUpgrade naar KadastraleKaart Pro
CYBNCWnsRWVr zXzUpgrade naar KadastraleKaart Pro
0ZR fS0cnXFZyZSUpgrade naar KadastraleKaart Pro
x SA 6 zmNqlbf4fCQZUpgrade naar KadastraleKaart Pro
Um uP vYHgz1zAdZUpgrade naar KadastraleKaart Pro
vXxCbVXZ7d B2 Upgrade naar KadastraleKaart Pro
18/11/2010

Percelen
Gebruik de zoekbalk of klik op een perceel om informatie over het perceel te bekijken.