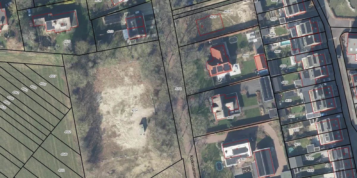
Perceel: DPV00-H-4354
Geen adressen bij dit perceel
3.133 m2 - 676 m
Eigenaar opvragen
DPV00-H-4354 (Diepenveen)
- Geen postcode aanwezig
zjlFlSRWYPVJBdkCghUpgrade naar KadastraleKaart Pro
Bekijk op Street View
Download DWG/DXF/Excel
Yrd 0P gUQ Az0vfTl8oUpgrade naar KadastraleKaart Pro
BRtKh qOWNUpgrade naar KadastraleKaart Pro
fmaDWkjUnEStnIG0WT tcUpgrade naar KadastraleKaart Pro
pEz03JhLMZUpgrade naar KadastraleKaart Pro
7cZFiS4eTkzm aKsuGUUpgrade naar KadastraleKaart Pro
zNHfOnDsN ptAsUUpgrade naar KadastraleKaart Pro
eb9kV n6DII7Upgrade naar KadastraleKaart Pro
fx1SDR93i1GKAD7hUpgrade naar KadastraleKaart Pro
TbTeMEFvht cUiZUpgrade naar KadastraleKaart Pro
mcLOenRv 6Upgrade naar KadastraleKaart Pro
22/12/2022

Percelen
Gebruik de zoekbalk of klik op een perceel om informatie over het perceel te bekijken.