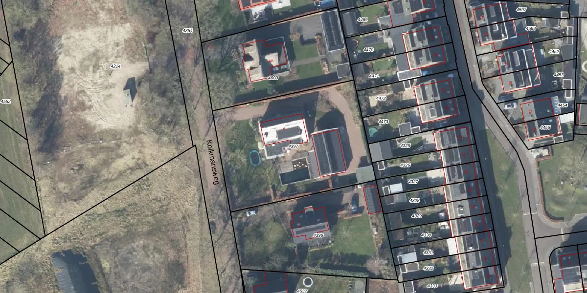
Perceel: DPV00-H-4397
KadastraleKaart.com kan meer dan je denktOntdek meer ›
Filter op bestemming 50+ datasets Eigendomsdata in één klik Percelen CRM
1.771 m2 - 170 m
Eigenaar opvragen
DPV00-H-4397 (Diepenveen)
- 7433 CL
x6XXwh HWF6pUK3mUpgrade naar KadastraleKaart Pro
Verkoopprijs opvragen
Bekijk op Street View
Download DWG/DXF/Excel
B3HWXMNSWK44 rql0GDcPUpgrade naar KadastraleKaart Pro
B7Srl0k9RGS Upgrade naar KadastraleKaart Pro
wCd0XjgTMmTgjvV0izOUpgrade naar KadastraleKaart Pro
BdV8LdOrwrRcUpgrade naar KadastraleKaart Pro
707YTZBF8SykK9lhUpgrade naar KadastraleKaart Pro
2afxPid6J5i7vUpgrade naar KadastraleKaart Pro
zMMJ3O2m aE9nUSUpgrade naar KadastraleKaart Pro
B24jyo L0WG HUpgrade naar KadastraleKaart Pro
7Md6mDcK bpVUpgrade naar KadastraleKaart Pro
rAaQ5Qh keC51WdhYV7 Upgrade naar KadastraleKaart Pro
29/12/2014

Percelen
Gebruik de zoekbalk of klik op een perceel om informatie over het perceel te bekijken.