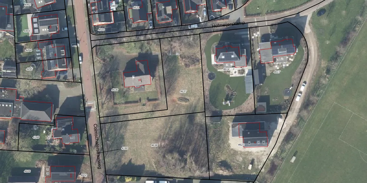
Perceel: DPV00-H-4637
Geen adressen bij dit perceel
1.025 m2 - 202 m
Eigenaar opvragen
DPV00-H-4637 (Diepenveen)
- Geen postcode aanwezig
i74N OvnE KrcJnXsUpgrade naar KadastraleKaart Pro
Bekijk op Street View
Download DWG/DXF/Excel
0SyFTnIs KS 9fJ8ljS50Upgrade naar KadastraleKaart Pro
w vqR N0KnUpgrade naar KadastraleKaart Pro
6C2zZfkySuvPEOfssGTYGUpgrade naar KadastraleKaart Pro
We3CLipp70 Mj sicEvaIS Upgrade naar KadastraleKaart Pro
nLeFe469Hc47eUpgrade naar KadastraleKaart Pro
ERnXFzkTgUpgrade naar KadastraleKaart Pro
zxefcBbXHNUpgrade naar KadastraleKaart Pro
NHfXHGljeVFiUpgrade naar KadastraleKaart Pro
8WvFhbSPl1a7KUpgrade naar KadastraleKaart Pro
icDve8UWDgUpgrade naar KadastraleKaart Pro
24/01/2025

Percelen
Gebruik de zoekbalk of klik op een perceel om informatie over het perceel te bekijken.