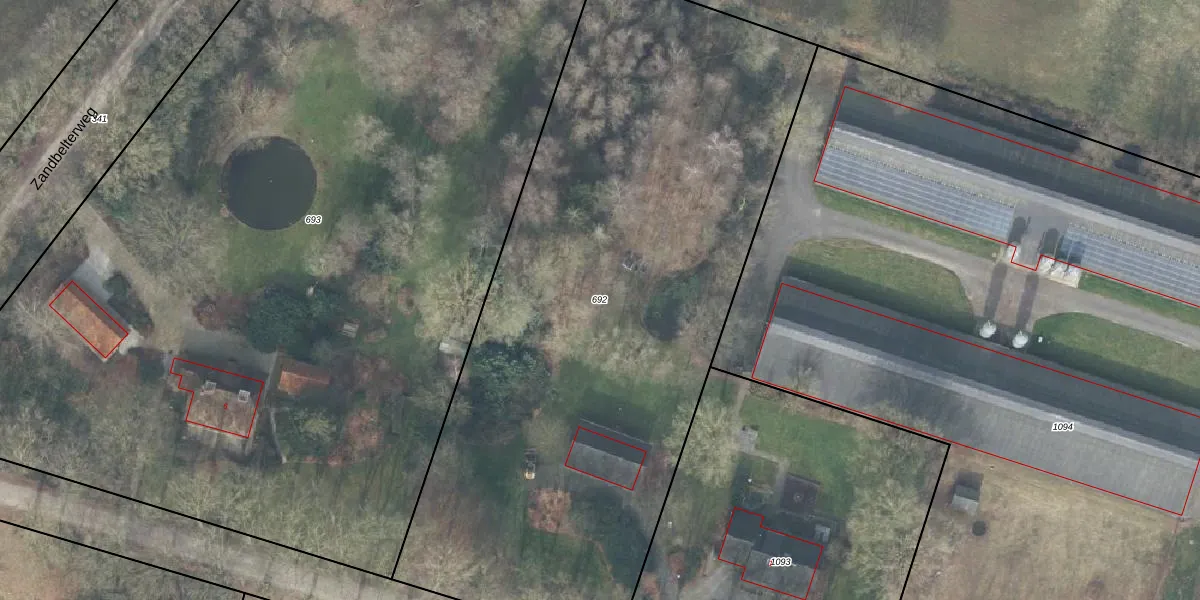
Perceel: DPV00-K-692
KadastraleKaart.com kan meer dan je denktOntdek meer ›
Filter op bestemming 50+ datasets Eigendomsdata in één klik Percelen CRM
Geen adressen bij dit perceel
4.134 m2 - 291 m
Eigenaar opvragen
DPV00-K-692 (Diepenveen)
- Geen postcode aanwezig
PRlQwtLRoGABKjeNHN8Upgrade naar KadastraleKaart Pro
Bekijk op Street View
Download DWG/DXF/Excel
3tjpkkqNdVtmUpgrade naar KadastraleKaart Pro
LqvCJSsqpaUUpgrade naar KadastraleKaart Pro
SqNWAAuzm xZUpgrade naar KadastraleKaart Pro
BFJ1 RAYoUpgrade naar KadastraleKaart Pro
JpX lhdh SZhHymDCLBUpgrade naar KadastraleKaart Pro
T Sq1xOr5Fytd4jQs2kX Upgrade naar KadastraleKaart Pro
tSydEte Upgrade naar KadastraleKaart Pro
E266fvFKOYyCOVYIzgUpgrade naar KadastraleKaart Pro
ayKgBGTdaUpgrade naar KadastraleKaart Pro
s14WnEzpIxUpgrade naar KadastraleKaart Pro
23/03/2023

Percelen
Gebruik de zoekbalk of klik op een perceel om informatie over het perceel te bekijken.