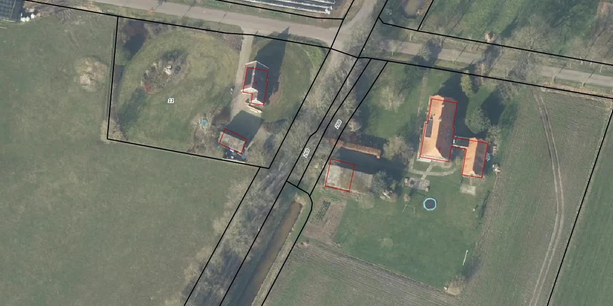
Perceel: DPV00-L-269
KadastraleKaart.com kan meer dan je denktOntdek meer ›
Filter op bestemming 50+ datasets Eigendomsdata in één klik Percelen CRM
Geen adressen bij dit perceel
155 m2 - 104 m
Eigenaar opvragen
DPV00-L-269 (Diepenveen)
- Geen postcode aanwezig
6IEmAACC IT13xlHUpgrade naar KadastraleKaart Pro
Bekijk op Street View
Download DWG/DXF/Excel
aRXHh VrY3OIXVAvNEAPUpgrade naar KadastraleKaart Pro
zKYDFF9sQLDg9Upgrade naar KadastraleKaart Pro
FPXROPCSxTUpgrade naar KadastraleKaart Pro
MqBwIZUfQg ASPH yUpgrade naar KadastraleKaart Pro
ebjBdBlSSk Upgrade naar KadastraleKaart Pro
b4vZUn2zK5KrCLn Upgrade naar KadastraleKaart Pro
LQrfnsVCenEH pbxUpgrade naar KadastraleKaart Pro
itH JM16JdYUpgrade naar KadastraleKaart Pro
XyHQkmlxwEYO8jJ WUpgrade naar KadastraleKaart Pro
cmMxw9b7Mht1JNUpQ5Upgrade naar KadastraleKaart Pro
28/11/2002

Percelen
Gebruik de zoekbalk of klik op een perceel om informatie over het perceel te bekijken.