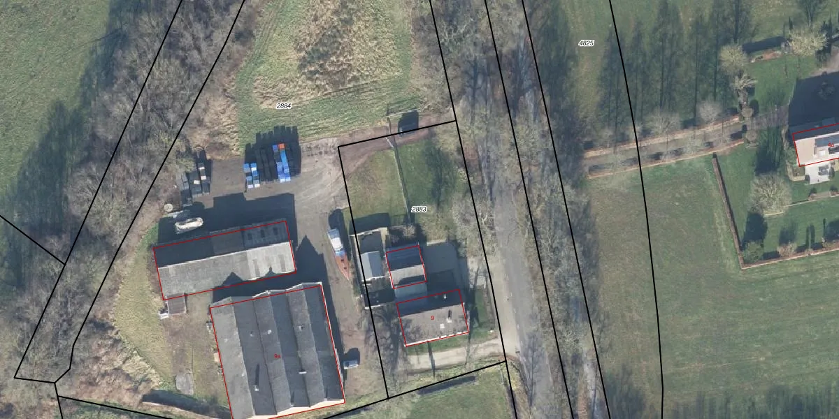
Perceel: DRN00-P-2883
1.770 m2 - 178 m
Eigenaar opvragen
DRN00-P-2883 (Dieren)
- 6957 AA
r1o3rH1rv6vlr N38Upgrade naar KadastraleKaart Pro
Bekijk op Street View
Download DWG/DXF/Excel
gP btfcDSCUidnmdRwJKjXYUpgrade naar KadastraleKaart Pro
OKpvabuVN zAW WUpgrade naar KadastraleKaart Pro
XyEYXkbiM01ie5dUpgrade naar KadastraleKaart Pro
bwTxgBh 0u uwYaPqFXSLE7Upgrade naar KadastraleKaart Pro
V6 Fg2S0pVzYL egKeKUpgrade naar KadastraleKaart Pro
5A2F2keepK735t4rlI Upgrade naar KadastraleKaart Pro
NqI2 WaiMIlzUpgrade naar KadastraleKaart Pro
63 F2DI7yw88owWqt aLUpgrade naar KadastraleKaart Pro
uWRr3OlUZQknY4ue4Ab DDDUpgrade naar KadastraleKaart Pro
cWWr l4Q3VuPNo2yAUpgrade naar KadastraleKaart Pro
23/04/2001

Percelen
Gebruik de zoekbalk of klik op een perceel om informatie over het perceel te bekijken.