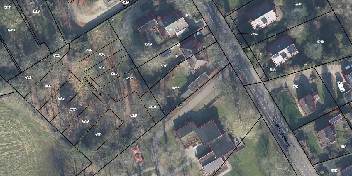
Perceel: DRN00-P-3615
KadastraleKaart.com kan meer dan je denktOntdek meer ›
Filter op bestemming 50+ datasets Eigendomsdata in één klik Percelen CRM
790 m2 - 127 m
Eigenaar opvragen
DRN00-P-3615 (Dieren)
- 6957 AB
5HgcTCnvwBKHT Sz0 3YUUpgrade naar KadastraleKaart Pro
Verkoopprijs opvragen
Bekijk op Street View
Download DWG/DXF/Excel
ENRMS 2msIsx Upgrade naar KadastraleKaart Pro
oSfs AbtyWIaLKTw6nfDUpgrade naar KadastraleKaart Pro
FVD0CGlF8HFnUpgrade naar KadastraleKaart Pro
b4R9drvvB3 a t0E 5BXXUpgrade naar KadastraleKaart Pro
puC 4 QEuI ShZtryUpgrade naar KadastraleKaart Pro
ZDkacTQqqxFNBUpgrade naar KadastraleKaart Pro
33ShqN91Upgrade naar KadastraleKaart Pro
3tm0PKSAD fmUmjURQUpgrade naar KadastraleKaart Pro
CPFiD2vH3dUpgrade naar KadastraleKaart Pro
7XiGwcjXYFAUpgrade naar KadastraleKaart Pro
19/04/2018

Percelen
Gebruik de zoekbalk of klik op een perceel om informatie over het perceel te bekijken.