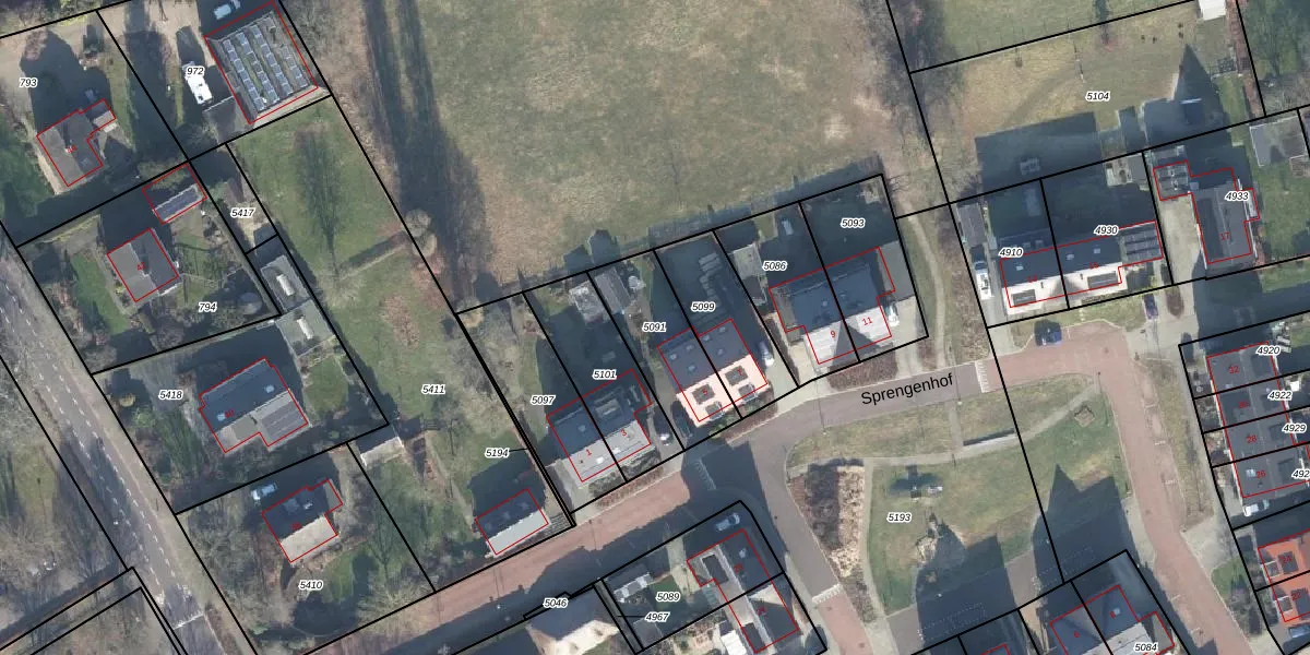
Perceel: DRN00-P-5091
KadastraleKaart.com kan meer dan je denktOntdek meer ›
Filter op bestemming 50+ datasets Eigendomsdata in één klik Percelen CRM
306 m2 - 81 m
Eigenaar opvragen
DRN00-P-5091 (Dieren)
- 6957 CA
rXk85111EsuO5d kg9H2dBSbiUpgrade naar KadastraleKaart Pro
Verkoopprijs opvragen
Bekijk op Street View
Download DWG/DXF/Excel
fSR de1fLr7Upgrade naar KadastraleKaart Pro
WB8WLs DGoUpgrade naar KadastraleKaart Pro
ye5TbWax7RSUpgrade naar KadastraleKaart Pro
2sqEzq7r hmgK m5lhQ7xfnUpgrade naar KadastraleKaart Pro
RiwFqiH0GLGfW4ghN23NEy Upgrade naar KadastraleKaart Pro
uvm S 7ocUpgrade naar KadastraleKaart Pro
cp0Gepk abCv6JczLUpgrade naar KadastraleKaart Pro
h3Kzaw HzZdD 4gK7 BoUpgrade naar KadastraleKaart Pro
Dbca10gupUpgrade naar KadastraleKaart Pro
QDOG5IM Upgrade naar KadastraleKaart Pro
04/02/2020

Percelen
Gebruik de zoekbalk of klik op een perceel om informatie over het perceel te bekijken.