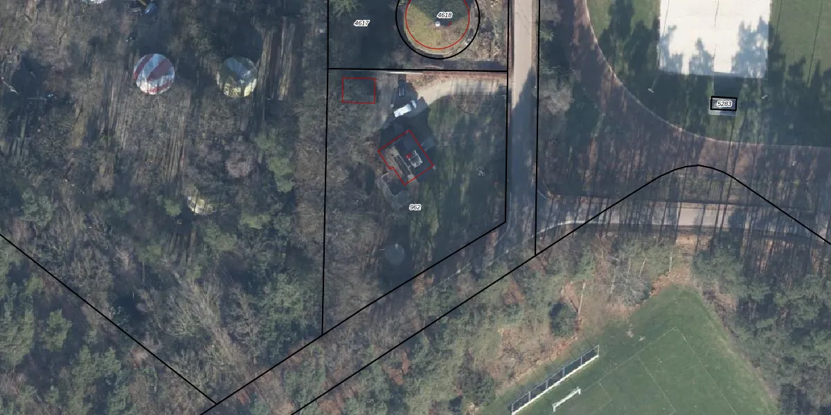
Perceel: DRN00-P-962
KadastraleKaart.com kan meer dan je denktOntdek meer ›
Filter op bestemming 50+ datasets Eigendomsdata in één klik Percelen CRM
2.360 m2 - 196 m
Eigenaar opvragen
DRN00-P-962 (Dieren)
- 6952 GX
a 8sGpi4ACR9Bovp4z2 UUj eDHUpgrade naar KadastraleKaart Pro
Verkoopprijs opvragen
Bekijk op Street View
Download DWG/DXF/Excel
RFg JRsWL o hgUpgrade naar KadastraleKaart Pro
f0OiCixQ Upgrade naar KadastraleKaart Pro
y3JIeKo0aCIdCJM1nYaUpgrade naar KadastraleKaart Pro
j Djt7XUwreGBPet5Upgrade naar KadastraleKaart Pro
e7WC F8byNXaqRD2QWt7Upgrade naar KadastraleKaart Pro
Iv8iLce9jGvZulOod7Upgrade naar KadastraleKaart Pro
ljlllC2Dg5Upgrade naar KadastraleKaart Pro
LRlfeMINey8Y 2pv ZkjdYUpgrade naar KadastraleKaart Pro
AVQriU4jNhb Iba7sI eZxUpgrade naar KadastraleKaart Pro
Iy U8AS3Upgrade naar KadastraleKaart Pro
07/12/2010

Percelen
Gebruik de zoekbalk of klik op een perceel om informatie over het perceel te bekijken.