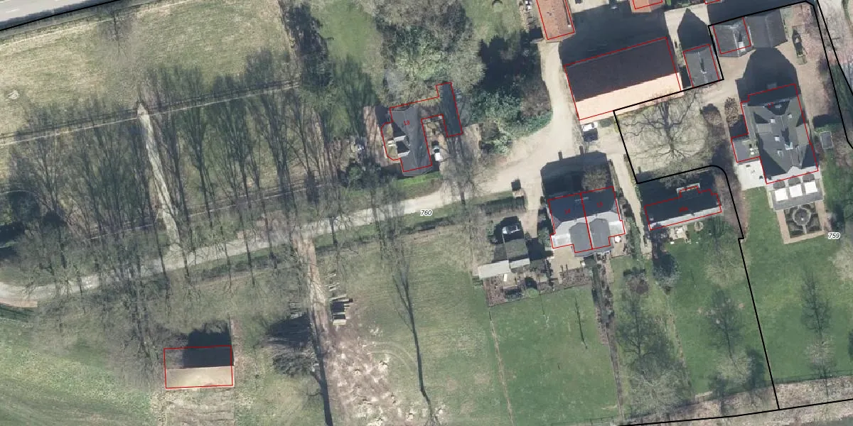
Perceel: DRN00-T-760
KadastraleKaart.com kan meer dan je denktOntdek meer ›
Filter op bestemming 50+ datasets Eigendomsdata in één klik Percelen CRM
43.485 m2 - 1.727 m
Eigenaar opvragen
DRN00-T-760 (Dieren)
- 6994 JD
N2ubhn Z9 DWP7 gIRB GW5PH17Upgrade naar KadastraleKaart Pro
Bekijk op Street View
Download DWG/DXF/Excel
4qxsgb tt83 h 0wiUpgrade naar KadastraleKaart Pro
HUR55SooU VDVwJG na30VUpgrade naar KadastraleKaart Pro
xcOl2Cx LbUpgrade naar KadastraleKaart Pro
JVvJ RLj w4tEbaED90c5 MUpgrade naar KadastraleKaart Pro
HbjLltRG9vFKUpgrade naar KadastraleKaart Pro
mD mfs0vcIZ CnVUpgrade naar KadastraleKaart Pro
0J1cBeQsXgpbUpgrade naar KadastraleKaart Pro
F71fsk 2Y W3ARUpgrade naar KadastraleKaart Pro
rmZsUCEC9mb7Bi3dNcY aUpgrade naar KadastraleKaart Pro
MGqH9Ms3Upgrade naar KadastraleKaart Pro
19/05/2009

Percelen
Gebruik de zoekbalk of klik op een perceel om informatie over het perceel te bekijken.