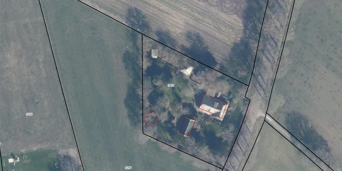
Perceel: DSK00-D-3902
3.075 m2 - 233 m
Eigenaar opvragen
DSK00-D-3902 (Doornspijk)
- 8085 SK
swDrdZcGVD zVJfwBPyBdD8Upgrade naar KadastraleKaart Pro
Verkoopprijs opvragen
Bekijk op Street View
Download DWG/DXF/Excel
o2fq XV kLx3ebRDarUpgrade naar KadastraleKaart Pro
rUxL3eXM s0m4LVH8GoPUpgrade naar KadastraleKaart Pro
IQqVFHXAZoUpgrade naar KadastraleKaart Pro
YV7magAaOYIka2yWQFPOxUpgrade naar KadastraleKaart Pro
mzFNxzQ8 GlER029 U dq Upgrade naar KadastraleKaart Pro
jvwMw8sezCffawxJl7o 8Upgrade naar KadastraleKaart Pro
ybUVBSW3mHR7LdYPtiKoUpgrade naar KadastraleKaart Pro
DZYpmsb MKwiy 3Sbxx Upgrade naar KadastraleKaart Pro
53l4tmRfC Yh38UWOTH1VfUpgrade naar KadastraleKaart Pro
G764qHvuLUpgrade naar KadastraleKaart Pro
12/12/2000

Percelen
Gebruik de zoekbalk of klik op een perceel om informatie over het perceel te bekijken.