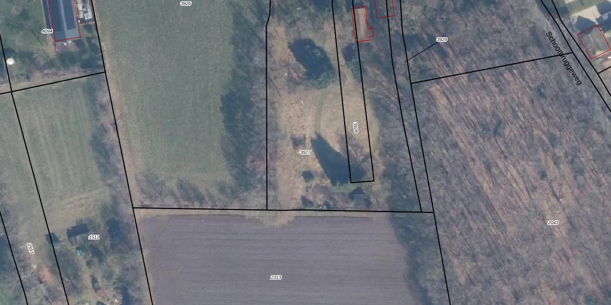
Perceel: DSK00-D-3927
3.820 m2 - 525 m
Eigenaar opvragen
DSK00-D-3927 (Doornspijk)
- 8085 SG
IUBHUARkPhHHL j1 0cAO iQWUUpgrade naar KadastraleKaart Pro
Bekijk op Street View
Download DWG/DXF/Excel
uQROWLVKUpgrade naar KadastraleKaart Pro
qoihriGkhVp0Upgrade naar KadastraleKaart Pro
5kCJ627TA7 BkH010kUpgrade naar KadastraleKaart Pro
eIjwZgjmK47SL0koCZklJXlUpgrade naar KadastraleKaart Pro
8 9pdqDPKrhIgcGT59UgkUpgrade naar KadastraleKaart Pro
CVuqxzF2DLSN2pp2 PHiUpgrade naar KadastraleKaart Pro
GYaxAcph8QmvSkIu PMDUpgrade naar KadastraleKaart Pro
Yco4wSCJUpgrade naar KadastraleKaart Pro
TTDxf27zNdUpgrade naar KadastraleKaart Pro
QDyGF1So9Wl6P76d ObUpgrade naar KadastraleKaart Pro
31/08/2015

Percelen
Gebruik de zoekbalk of klik op een perceel om informatie over het perceel te bekijken.