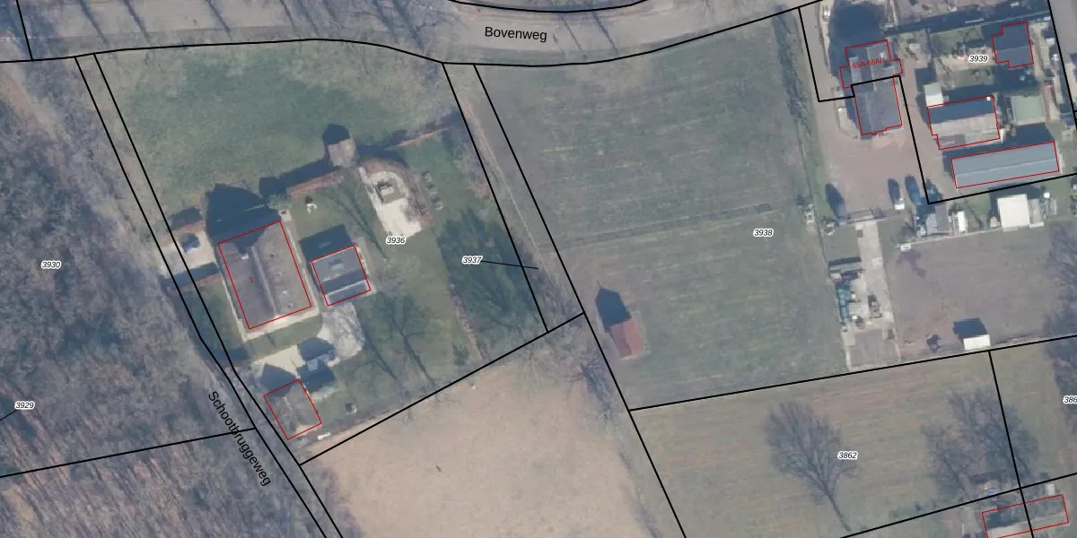
Perceel: DSK00-D-3937
Geen adressen bij dit perceel
390 m2 - 118 m
Eigenaar opvragen
DSK00-D-3937 (Doornspijk)
- Geen postcode aanwezig
bY2x2vUjA OzzPXOUpgrade naar KadastraleKaart Pro
Bekijk op Street View
Download DWG/DXF/Excel
4ydaCot69Dg1FZY5ZfUpgrade naar KadastraleKaart Pro
gt5zUHvtUpgrade naar KadastraleKaart Pro
YByFa iUpgrade naar KadastraleKaart Pro
TRABnWhKjOmuBIQUpgrade naar KadastraleKaart Pro
TUaxeAoZ6GksJFjphvv9Upgrade naar KadastraleKaart Pro
SipQInSl8YXDiJX77PWDFKUpgrade naar KadastraleKaart Pro
Dx1aexcaPYfsUpgrade naar KadastraleKaart Pro
Tq8YmiW5K I3v1eUpgrade naar KadastraleKaart Pro
gGbwKCThE vbCmzUi5SL Upgrade naar KadastraleKaart Pro
DV5hhlmfy1jFUpgrade naar KadastraleKaart Pro
12/12/2000

Percelen
Gebruik de zoekbalk of klik op een perceel om informatie over het perceel te bekijken.