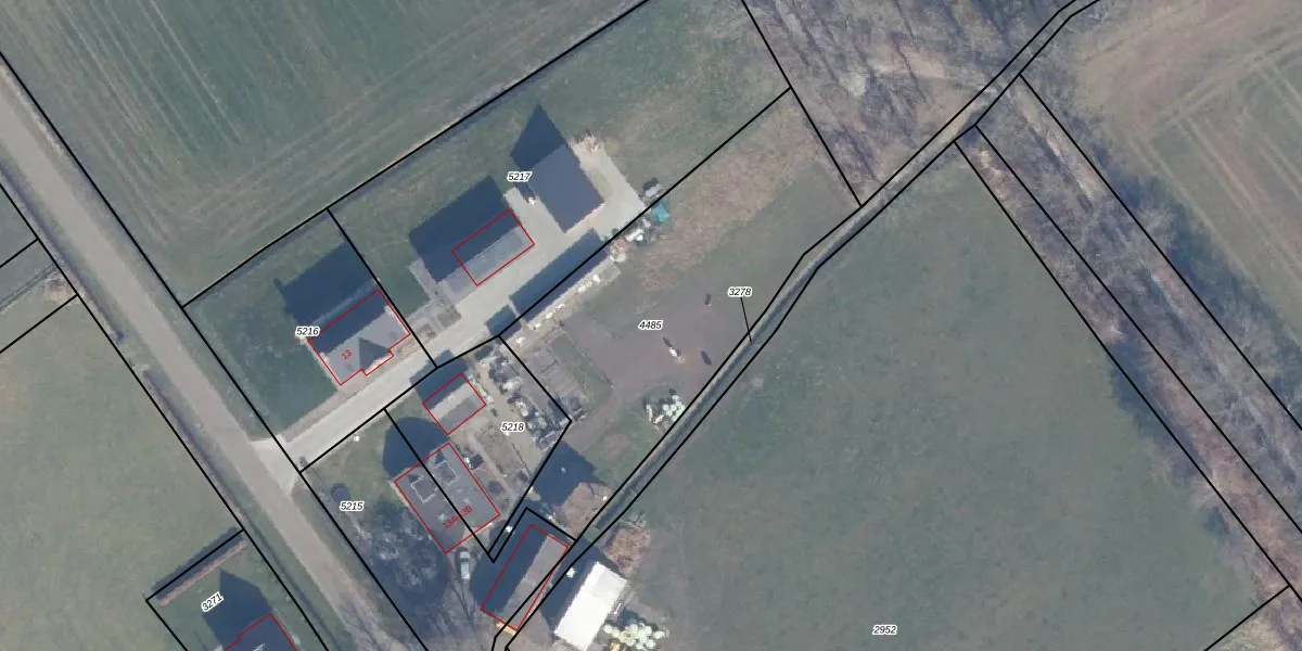
Perceel: DSK00-D-4485
Geen adressen bij dit perceel
1.560 m2 - 210 m
Eigenaar opvragen
DSK00-D-4485 (Doornspijk)
- Geen postcode aanwezig
d1fdrihGgX1pBzFvyqUpgrade naar KadastraleKaart Pro
Bekijk op Street View
Download DWG/DXF/Excel
fRPGhbpjPUpgrade naar KadastraleKaart Pro
VC9XpXR nMp1vBVAdUpgrade naar KadastraleKaart Pro
6Me8 FHDpE2 Pxf HRnUpgrade naar KadastraleKaart Pro
GKpIBogZjH BASE c RWQUpgrade naar KadastraleKaart Pro
O1bjFtEed5y9Upgrade naar KadastraleKaart Pro
An e7fFS0 Upgrade naar KadastraleKaart Pro
uETujjPBV2Upgrade naar KadastraleKaart Pro
TFF5sT7eQoaNrbbETPLItUpgrade naar KadastraleKaart Pro
9Bst8llhcpT4WaVvUpgrade naar KadastraleKaart Pro
B0m O2R0Z9rR052wRkUpgrade naar KadastraleKaart Pro
01/12/2017

Percelen
Gebruik de zoekbalk of klik op een perceel om informatie over het perceel te bekijken.