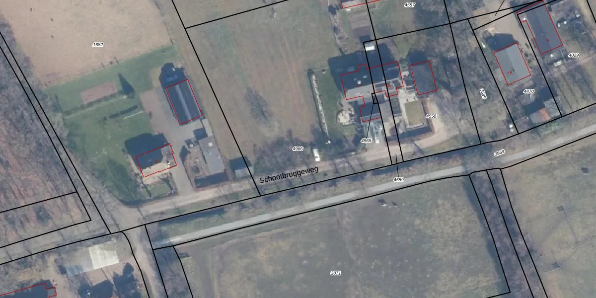
Perceel: DSK00-D-4966
3.246 m2 - 238 m
Eigenaar opvragen
DSK00-D-4966 (Doornspijk)
- 8085 RV
AYSntqk NgzMwQp v8WPC31Upgrade naar KadastraleKaart Pro
Verkoopprijs opvragen
Bekijk op Street View
Download DWG/DXF/Excel
Kak0oxLtz k4Upgrade naar KadastraleKaart Pro
mZvarwuHThnQ 3bFQR3nUpgrade naar KadastraleKaart Pro
R ngzuJCvUpgrade naar KadastraleKaart Pro
WouXM EDIv5 fmMIjTVcUpgrade naar KadastraleKaart Pro
tpZD J 6JUpgrade naar KadastraleKaart Pro
A8CVvgIVHKYqevUpgrade naar KadastraleKaart Pro
m6kzTaehhUtUpgrade naar KadastraleKaart Pro
k4O97uf75WrCr8Upgrade naar KadastraleKaart Pro
X9RGXP1fon7UUpgrade naar KadastraleKaart Pro
OTDmk3JelauBjVlBUpgrade naar KadastraleKaart Pro
12/03/2013

Percelen
Gebruik de zoekbalk of klik op een perceel om informatie over het perceel te bekijken.