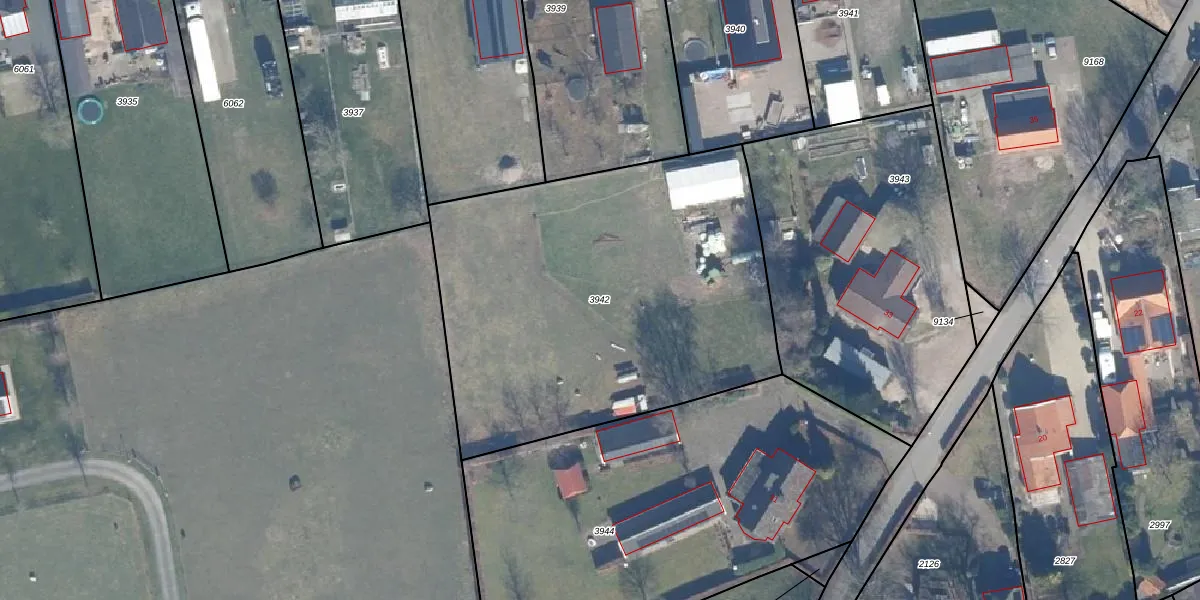
Perceel: DSK00-E-3942
KadastraleKaart.com kan meer dan je denktOntdek meer ›
Filter op bestemming 50+ datasets Eigendomsdata in één klik Percelen CRM
Geen adressen bij dit perceel
2.288 m2 - 191 m
Eigenaar opvragen
DSK00-E-3942 (Doornspijk)
- Geen postcode aanwezig
kuHEbqDgsZNDcZg Y4Y0p JUpgrade naar KadastraleKaart Pro
Bekijk op Street View
Download DWG/DXF/Excel
aa56Jzu s EB bEw6Upgrade naar KadastraleKaart Pro
NlDPTlB86Upgrade naar KadastraleKaart Pro
aZb5Miz dvWQgrl 9NBUpgrade naar KadastraleKaart Pro
hI44Zr1HR22EF2UUpgrade naar KadastraleKaart Pro
XAPwE5 ET rUpgrade naar KadastraleKaart Pro
1LBJSfvsNcM6Upgrade naar KadastraleKaart Pro
eKpo9nV5Y4s2 C5YUpgrade naar KadastraleKaart Pro
LpKjaMh0 srs1nUpgrade naar KadastraleKaart Pro
OFwU9W8bUpgrade naar KadastraleKaart Pro
pyotrhIH9ooq6JvkzQWUpgrade naar KadastraleKaart Pro
24/01/2006

Percelen
Gebruik de zoekbalk of klik op een perceel om informatie over het perceel te bekijken.