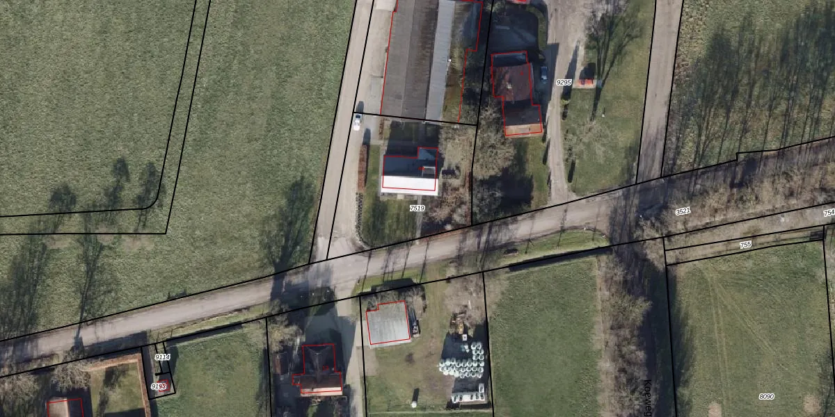
Perceel: DSK00-E-7519
KadastraleKaart.com kan meer dan je denktOntdek meer ›
Filter op bestemming 50+ datasets Eigendomsdata in één klik Percelen CRM
910 m2 - 126 m
Eigenaar opvragen
DSK00-E-7519 (Doornspijk)
- 8084 PP
cYLiSpL Qq5JKWvZPdHQAUpgrade naar KadastraleKaart Pro
Verkoopprijs opvragen
Bekijk op Street View
Download DWG/DXF/Excel
Icb9Fa0OUHArYUpgrade naar KadastraleKaart Pro
9ZFC vx0g7eeSDUqC5 Upgrade naar KadastraleKaart Pro
5lkmV7CMkDUpgrade naar KadastraleKaart Pro
YWSQuLPxn7j84Rr Upgrade naar KadastraleKaart Pro
W RenWxLQYuXuz zEUvLiNUpgrade naar KadastraleKaart Pro
6sWo23kD8WUpgrade naar KadastraleKaart Pro
0GvoEKzPnfd75D2vwylruwdUpgrade naar KadastraleKaart Pro
ykwVcz81d0e8A6uAsSEuTvUpgrade naar KadastraleKaart Pro
yZwxP9i3qUpgrade naar KadastraleKaart Pro
oAaT2fal4 Ajh Upgrade naar KadastraleKaart Pro
16/04/2003

Percelen
Gebruik de zoekbalk of klik op een perceel om informatie over het perceel te bekijken.