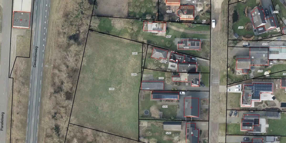
Perceel: DSN01-F-7044
Geen adressen bij dit perceel
7 m2 - 23 m
Eigenaar opvragen
DSN01-F-7044 (Dalfsen)
- Geen postcode aanwezig
66q11YbAwVbwWbq8BUpgrade naar KadastraleKaart Pro
Bekijk op Street View
Download DWG/DXF/Excel
ur3WTZ bYkJrg7ZXIwl1TUpgrade naar KadastraleKaart Pro
1RXPWYGwOqf5VI3Upgrade naar KadastraleKaart Pro
GpN HwdK FPins70vXuUpgrade naar KadastraleKaart Pro
P1Llybsx5pY5Upgrade naar KadastraleKaart Pro
YuWkcnUZuUpgrade naar KadastraleKaart Pro
1Kzr5fwjFlUpgrade naar KadastraleKaart Pro
w2aef2PTJUpgrade naar KadastraleKaart Pro
ffJJ 4tjbysUpgrade naar KadastraleKaart Pro
0TY 89onqfcZz 32WlBmhKUpgrade naar KadastraleKaart Pro
STfIO KYT LTeoUUpgrade naar KadastraleKaart Pro
20/09/2005

Percelen
Gebruik de zoekbalk of klik op een perceel om informatie over het perceel te bekijken.