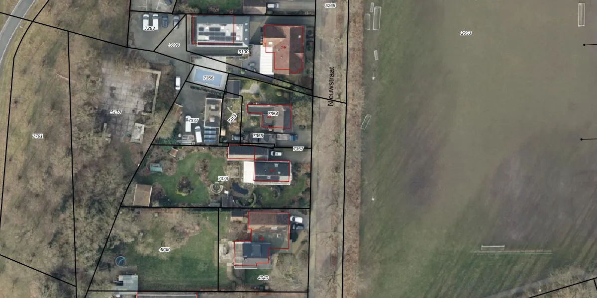
Perceel: DSN01-F-7357
Geen adressen bij dit perceel
1 m2 - 4 m
Eigenaar opvragen
DSN01-F-7357 (Dalfsen)
- Geen postcode aanwezig
PNrLRd0 SWxIeaBOZGTIwN1R9Upgrade naar KadastraleKaart Pro
Bekijk op Street View
Download DWG/DXF/Excel
79zGzu S6finghipr3oZUpgrade naar KadastraleKaart Pro
HZG6ZJPOsgU auqDbYw9buUpgrade naar KadastraleKaart Pro
o5WF0HvFRl11x49 bUpgrade naar KadastraleKaart Pro
QdByh 87U1njG8iv8LO JUpgrade naar KadastraleKaart Pro
Rgn3fYLvlUpgrade naar KadastraleKaart Pro
8s dJ Z1EweSthOEUpgrade naar KadastraleKaart Pro
Iao biud9Upgrade naar KadastraleKaart Pro
IvkZOqas2Upgrade naar KadastraleKaart Pro
p9h6 tHYItWAUpgrade naar KadastraleKaart Pro
HLNboq51 MkBzMzUwtGvUpgrade naar KadastraleKaart Pro
20/06/2016

Percelen
Gebruik de zoekbalk of klik op een perceel om informatie over het perceel te bekijken.