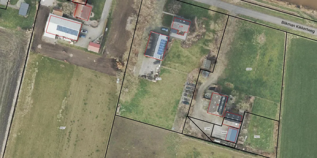
Perceel: DSN01-F-7572
3.980 m2 - 268 m
Eigenaar opvragen
DSN01-F-7572 (Dalfsen)
- 8151 AX
CMRjPjZ8hpYyziG9Do8CiRZzVvgVJ Upgrade naar KadastraleKaart Pro
Verkoopprijs opvragen
Bekijk op Street View
Download DWG/DXF/Excel
E osWlo25jUpgrade naar KadastraleKaart Pro
7RcL yEuh6RzV9OWUpgrade naar KadastraleKaart Pro
gwT5jSthFSB j28Upgrade naar KadastraleKaart Pro
BJyX qdw8LM v6jgBLq4Upgrade naar KadastraleKaart Pro
pkdhzrWifPdnqvDAyUpgrade naar KadastraleKaart Pro
IyZFGMteUpgrade naar KadastraleKaart Pro
tPf58OFYXdKuDoUpgrade naar KadastraleKaart Pro
IAkgy MCrgxgG VAf q9Upgrade naar KadastraleKaart Pro
QtZ0kpcbxtE8wbAuUpgrade naar KadastraleKaart Pro
4fDmEfnEbOw L0Upgrade naar KadastraleKaart Pro
07/02/2019

Percelen
Gebruik de zoekbalk of klik op een perceel om informatie over het perceel te bekijken.