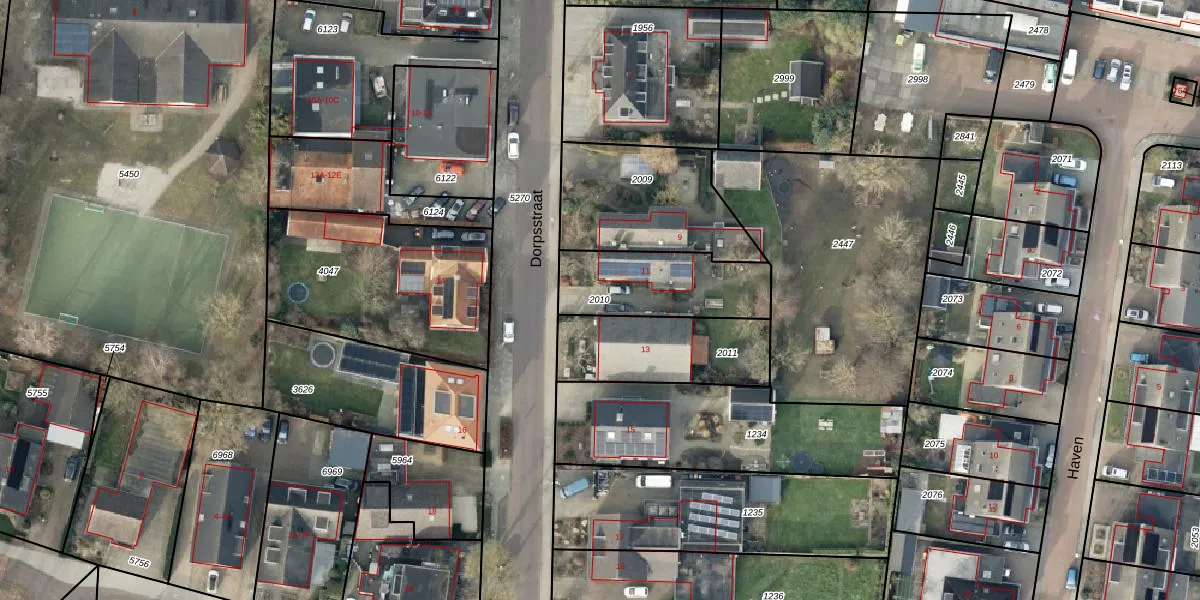
Perceel: DSN01-M-2010
KadastraleKaart.com kan meer dan je denktOntdek meer ›
Filter op bestemming 50+ datasets Eigendomsdata in één klik Percelen CRM
375 m2 - 92 m
Eigenaar opvragen
DSN01-M-2010 (Dalfsen)
- 8151 BA
t cArK Dq81z GkMUpgrade naar KadastraleKaart Pro
Verkoopprijs opvragen
Bekijk op Street View
Download DWG/DXF/Excel
0YcAK26lP4AUpgrade naar KadastraleKaart Pro
6zoP2G4J7Dx8gUpgrade naar KadastraleKaart Pro
5fa 8fKV6L NPyKL1Upgrade naar KadastraleKaart Pro
s0tnjZaLUpgrade naar KadastraleKaart Pro
MYn97saCc6XM6iJo8ee9juUpgrade naar KadastraleKaart Pro
iz6kejA7oSKFL6fD Upgrade naar KadastraleKaart Pro
7SXtM2U 4z vhcV9CQUpgrade naar KadastraleKaart Pro
x6cMToEAfceAf9 5nOTU2ApUpgrade naar KadastraleKaart Pro
fDIvGbp29pBPHYZkKtDLv Upgrade naar KadastraleKaart Pro
UO2 dBWV0q3ACe 3tlYwp3MUpgrade naar KadastraleKaart Pro
30/08/2004

Percelen
Gebruik de zoekbalk of klik op een perceel om informatie over het perceel te bekijken.