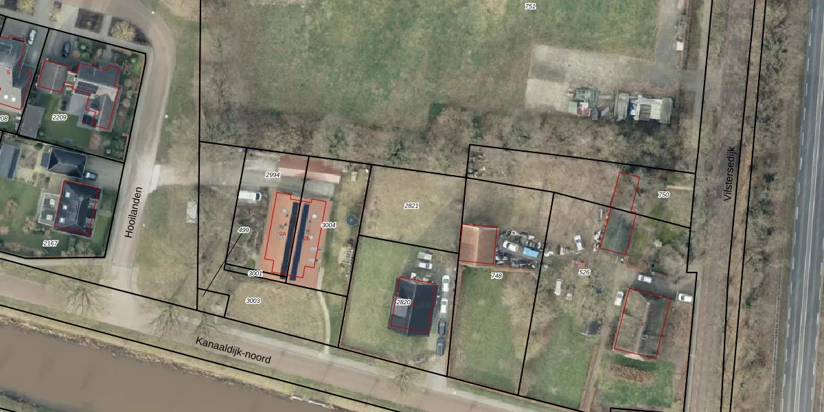
Perceel: DSN01-M-2821
Geen adressen bij dit perceel
435 m2 - 84 m
Eigenaar opvragen
DSN01-M-2821 (Dalfsen)
- Geen postcode aanwezig
Mw0gpxTGemA a1 WFOGIgWr qUpgrade naar KadastraleKaart Pro
Bekijk op Street View
Download DWG/DXF/Excel
auxgAfclXYmJrqpbvc0jsHUpgrade naar KadastraleKaart Pro
rn4M JuSTOEdVg3O7aUJGmUpgrade naar KadastraleKaart Pro
M K4NUqO9Upgrade naar KadastraleKaart Pro
fxGllf ytiG X0Upgrade naar KadastraleKaart Pro
vk2mJgteBh iKdgytF Upgrade naar KadastraleKaart Pro
AYTXHeo8Quxvwmu Ro XApjUpgrade naar KadastraleKaart Pro
Kq5RvL1QsKUpgrade naar KadastraleKaart Pro
mTUTnLUTFgG2mUpgrade naar KadastraleKaart Pro
dDYi0RyY6ZCUpgrade naar KadastraleKaart Pro
GjZ3UqTPIuyNZ14jlOUpgrade naar KadastraleKaart Pro
26/09/2018

Percelen
Gebruik de zoekbalk of klik op een perceel om informatie over het perceel te bekijken.