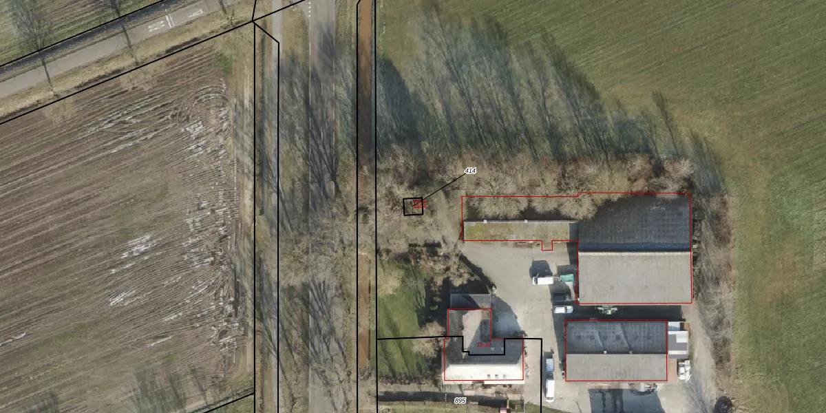
Perceel: DSN01-P-414
KadastraleKaart.com kan meer dan je denktOntdek meer ›
Filter op bestemming 50+ datasets Eigendomsdata in één klik Percelen CRM
18 m2 - 17 m
Eigenaar opvragen
DSN01-P-414 (Dalfsen)
- Geen postcode aanwezig
7ISyOcSw7 FliC g HdUpgrade naar KadastraleKaart Pro
Bekijk op Street View
Download DWG/DXF/Excel
QLMCZ4nOys1cNtc VVy ZUpgrade naar KadastraleKaart Pro
CexuZk5gybk9PoJUpgrade naar KadastraleKaart Pro
Nf4rL0djsM22pa9Upgrade naar KadastraleKaart Pro
2 P EP56Ezy lUpgrade naar KadastraleKaart Pro
rXXHRGxGJ7nqtLz8Upgrade naar KadastraleKaart Pro
yRezR5CRcJF7ixDWUpgrade naar KadastraleKaart Pro
3m1Ui7VMbHdUpgrade naar KadastraleKaart Pro
9dEPxcovxD26Ndn YnUpgrade naar KadastraleKaart Pro
e xyynKUgGZVtUyvO Upgrade naar KadastraleKaart Pro
ef yDYwqa6e HUpgrade naar KadastraleKaart Pro
14/05/2002

Percelen
Gebruik de zoekbalk of klik op een perceel om informatie over het perceel te bekijken.