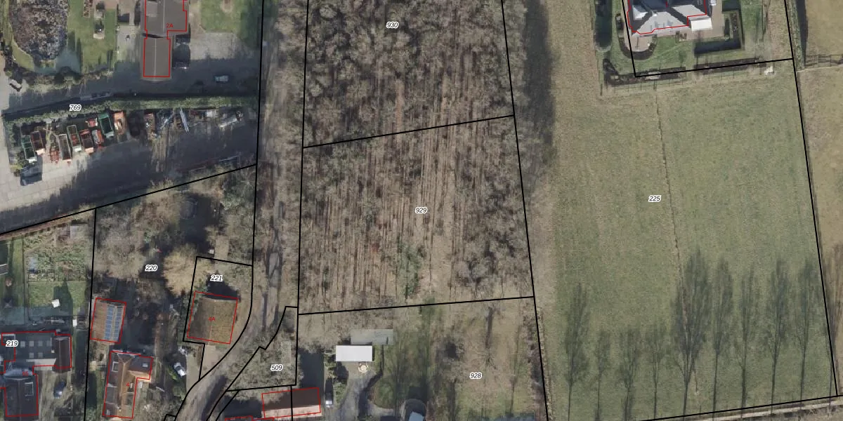
Perceel: DSN01-P-929

Adres bij perceel

Geen adressen bij dit perceel

Perceeloppervlakte & perceelomtrek

2.175 m2 - 190 m

Eigenaar van het perceel

Eigenaar opvragen

Kadastrale aanduiding

DSN01-P-929 (Dalfsen)

Postcode in perceel

    Geen postcode aanwezig

Type eigenaar

J7Q6bDlo7l8Fido3c mz6Rk6ROrniUpgrade naar KadastraleKaart Pro

Google Street View

Bekijk op Street View

Download

Download DWG/DXF/Excel

Gerelateerde percelen

7hi t oBETUpgrade naar KadastraleKaart Pro

Bebouwd/onbebouwd/water/groen

LZSIJ3Yi 2vZxiV2Upgrade naar KadastraleKaart Pro
Administratieve eenheden
8ZkrVCrBQl2CAto4QvUpgrade naar KadastraleKaart Pro

Appartementsrechten

GkhwvjlleUpUpgrade naar KadastraleKaart Pro

Vergunningverlenende instanties

F jfhcKdB8PH JIZ7Upgrade naar KadastraleKaart Pro

Bedekking (BGT)

7zO pwHOEGNZ9jmm YUpgrade naar KadastraleKaart Pro

Publiekrechtelijke beperkingen

J6 R3VO9Ul2RxrxdWj9m Upgrade naar KadastraleKaart Pro

Grensnauwkeurigheid

8LIpChgP qRd6ssKUpgrade naar KadastraleKaart Pro

Coördinaten hoekpunten perceel

UU4p CZHz5x Upgrade naar KadastraleKaart Pro

Hoogteligging

FcBveQAlsc ThMUpgrade naar KadastraleKaart Pro

Laatst gewijzigd

21/02/2024

Kadastrale kaart met maatvoering 59,95
Kadastrale kaart pakket 28,95

Percelen

Gebruik de zoekbalk of klik op een perceel om informatie over het perceel te bekijken.
Locatie
Meten
Lagen
Download