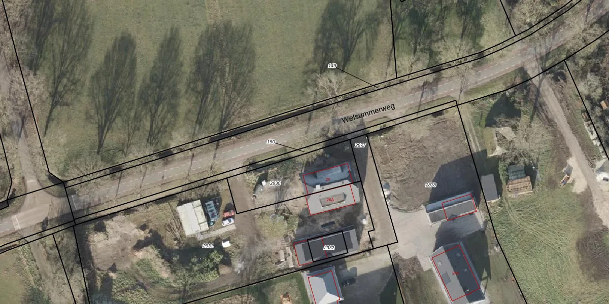
Perceel: DSN01-Q-150
KadastraleKaart.com kan meer dan je denktOntdek meer ›
Filter op bestemming 50+ datasets Eigendomsdata in één klik Percelen CRM
Geen adressen bij dit perceel
240 m2 - 266 m
Eigenaar opvragen
DSN01-Q-150 (Dalfsen)
- Geen postcode aanwezig
8mjF4O11o8O7GwmYk28W2XK7sX8fTUpgrade naar KadastraleKaart Pro
Bekijk op Street View
Download DWG/DXF/Excel
pKApTVAmxYYwEe6Upgrade naar KadastraleKaart Pro
UqDYAlqevodoucAUpgrade naar KadastraleKaart Pro
wphOGZ7EAUpgrade naar KadastraleKaart Pro
6 M 1 ma7lRk9hUpgrade naar KadastraleKaart Pro
G3kgl5OS C2JfgVUpgrade naar KadastraleKaart Pro
9cBO ZMkkgf iydpywcUUpgrade naar KadastraleKaart Pro
4nLc7B1sUpgrade naar KadastraleKaart Pro
BC0FjtH6Dtp2Upgrade naar KadastraleKaart Pro
rnlQNs4Cnu RSjxkAeUpgrade naar KadastraleKaart Pro
FL 4rKzkfxIWcyK 0ut TcUpgrade naar KadastraleKaart Pro
20/10/2025

Percelen
Gebruik de zoekbalk of klik op een perceel om informatie over het perceel te bekijken.